ОКРЕСТНОСТИ ПЕТЕРБУРГАПутеводители Карты Краеведение Военная история Фотогалерея    Старый сайт
Начало » Санкт-Петербург » Северные районы СПб » Пруд во дворе дома 95 по Светлановскому проспекту
Re: Это собственно русло Муринского ручья [сообщение #166968 является ответом на сообщение #67581] ср, 30 апреля 2014 03:26 Переход к предыдущему сообщенияПереход к предыдущему сообщения
Александр Олегович-1
"Брюки превращаются, превращаются брюки..."

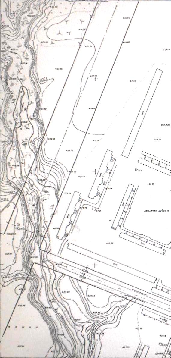
Ретроспектива превращения притока Муринского ручья в пруд.
На планах.
1970 г.:


1972 г.:


1973 г.:
  • Вложение: пруд70.JPG
    (Размер: 102.22KB, Загружено 2366 раз)
  • Вложение: пруд72.JPG
    (Размер: 59.09KB, Загружено 2208 раз)
  • Вложение: пруд73.JPG
    (Размер: 65.58KB, Загружено 2226 раз)
 
Сообщение не прочитано
Сообщение не прочитано
Сообщение не прочитано
Сообщение не прочитано
Сообщение не прочитано
Сообщение не прочитано
Сообщение не прочитано
Сообщение не прочитано
Сообщение не прочитано
Сообщение не прочитано
Сообщение не прочитано
Сообщение не прочитано
Сообщение не прочитано
Сообщение не прочитано
Сообщение не прочитано
Сообщение не прочитано
Сообщение не прочитано
Сообщение не прочитано
Сообщение не прочитано
Сообщение не прочитано
Сообщение не прочитано
Сообщение не прочитано
Сообщение не прочитано
Сообщение не прочитано
Сообщение не прочитано
Сообщение не прочитано
Сообщение не прочитано
Сообщение не прочитано
Сообщение не прочитано
Сообщение не прочитано
Сообщение не прочитано
Сообщение не прочитано
Сообщение не прочитано
Сообщение не прочитано
Сообщение не прочитано
Сообщение не прочитано
Сообщение не прочитано
Сообщение не прочитано
Сообщение не прочитано
Сообщение не прочитано
Сообщение не прочитано
Сообщение не прочитано
Сообщение не прочитано
Сообщение не прочитано
Сообщение не прочитано
Сообщение не прочитано
Сообщение не прочитано
Сообщение не прочитано
Сообщение не прочитано
Сообщение не прочитано
Сообщение не прочитано
Сообщение не прочитано
Сообщение не прочитано
Сообщение не прочитано
Сообщение не прочитано
Сообщение не прочитано
Сообщение не прочитано
Сообщение не прочитано
Сообщение не прочитано
Сообщение не прочитано
Сообщение не прочитано
Сообщение не прочитано
Сообщение не прочитано
Сообщение не прочитано
Сообщение не прочитано
Сообщение не прочитано
Сообщение не прочитано
Сообщение не прочитано
Сообщение не прочитано
Сообщение не прочитано
Сообщение не прочитано
Сообщение не прочитано
Сообщение не прочитано
Сообщение не прочитано
Сообщение не прочитано
Сообщение не прочитано
Сообщение не прочитано
Сообщение не прочитано
Сообщение не прочитано
Сообщение не прочитано
Сообщение не прочитано
Сообщение не прочитано
Сообщение не прочитано
Сообщение не прочитано
Сообщение не прочитано
Сообщение не прочитано
Сообщение не прочитано
Сообщение не прочитано
Сообщение не прочитано
Сообщение не прочитано
Сообщение не прочитано
Сообщение не прочитано
Сообщение не прочитано
Сообщение не прочитано
Сообщение не прочитано
Сообщение не прочитано
Сообщение не прочитано
Сообщение не прочитано
Сообщение не прочитано
Сообщение не прочитано
Сообщение не прочитано
Предыдущая тема: Панорама пр. Науки 1965
Следующая тема: Сквер и пруд между Ольги Форш и Демьяна Бедного
Переход к форуму:
  


Текущее время: сб дек #d 06:39:45 MSK 2024