ОКРЕСТНОСТИ ПЕТЕРБУРГАПутеводители Карты Краеведение Военная история Фотогалерея    Старый сайт
Начало » Санкт-Петербург » Санкт-Петербург » ? дырка в Богатырском пр.
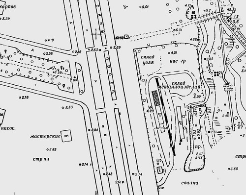
Нашел карты, все были правы [сообщение #65946 является ответом на сообщение #65919] пт, 09 января 2009 18:07 Переход к предыдущему сообщенияПереход к предыдущему сообщения
Dr.Moro
Вот в этой ветке
https://www.forum.aroundspb.ru/index.php?t=tree&goto=6522 4&rid=555&S=ff795348fd36509d836febd2f66c767c
нашёл подробнейший топоплан Питера.
И вот что из него почерпнул.
Ветка через Испытателей была.
Вот её остатки в створе аллеи Поликарпова.

От Северного завода стрелка на овощебазу была. В створе Аэродромной. Судя по всему левая ветка продолжалась до складов с картинки выше.



А справа, ЗА местом дуэли Пушкина, на овощебазу заходило еще куча веток. Но с "севернозаводскими" они не соединялись.


Уфф Всегда приятно закрыть вопрос исчерпывающим разъяснением.
 
Сообщение не прочитано
Сообщение не прочитано
Сообщение не прочитано
Сообщение не прочитано
Сообщение не прочитано
Сообщение не прочитано
Сообщение не прочитано
Сообщение не прочитано
Сообщение не прочитано
Сообщение не прочитано
Сообщение не прочитано
Сообщение не прочитано
Сообщение не прочитано
Сообщение не прочитано
Сообщение не прочитано
Сообщение не прочитано
Сообщение не прочитано
Сообщение не прочитано
Сообщение не прочитано
Сообщение не прочитано
Сообщение не прочитано
Сообщение не прочитано
Сообщение не прочитано
Сообщение не прочитано
Сообщение не прочитано
Сообщение не прочитано
Сообщение не прочитано
Сообщение не прочитано
Сообщение не прочитано
Сообщение не прочитано
Сообщение не прочитано
Сообщение не прочитано
Сообщение не прочитано
Сообщение не прочитано
Сообщение не прочитано
Сообщение не прочитано
Сообщение не прочитано
Сообщение не прочитано
Сообщение не прочитано
Сообщение не прочитано
Сообщение не прочитано
Сообщение не прочитано
Сообщение не прочитано
Сообщение не прочитано
Сообщение не прочитано
Сообщение не прочитано
Сообщение не прочитано
Сообщение не прочитано
Сообщение не прочитано
Сообщение не прочитано
Сообщение не прочитано
Сообщение не прочитано
Сообщение не прочитано
Сообщение не прочитано
Сообщение не прочитано
Сообщение не прочитано
Сообщение не прочитано
Сообщение не прочитано
Сообщение не прочитано
Сообщение не прочитано
Сообщение не прочитано
Сообщение не прочитано
Сообщение не прочитано
Сообщение не прочитано
Сообщение не прочитано
Сообщение не прочитано
Сообщение не прочитано
Сообщение не прочитано
Сообщение не прочитано
Сообщение не прочитано
Сообщение не прочитано
Сообщение не прочитано
Сообщение не прочитано
Сообщение не прочитано
Сообщение не прочитано
Сообщение не прочитано
Сообщение не прочитано
Сообщение не прочитано
Сообщение не прочитано
Сообщение не прочитано
Сообщение не прочитано
Сообщение не прочитано
Сообщение не прочитано
Сообщение не прочитано
Сообщение не прочитано
Сообщение не прочитано
Сообщение не прочитано
Сообщение не прочитано
Сообщение не прочитано
Сообщение не прочитано
Сообщение не прочитано
Сообщение не прочитано
Сообщение не прочитано
Сообщение не прочитано
Сообщение не прочитано
Сообщение не прочитано
Сообщение не прочитано
Сообщение не прочитано
Сообщение не прочитано
Сообщение не прочитано
Сообщение не прочитано
Сообщение не прочитано
Сообщение не прочитано
Сообщение не прочитано
Сообщение не прочитано
Сообщение не прочитано
Сообщение не прочитано
Сообщение не прочитано
Сообщение не прочитано
Сообщение не прочитано
Сообщение не прочитано
Сообщение не прочитано
Сообщение не прочитано
Сообщение не прочитано
Сообщение не прочитано
Сообщение не прочитано
Сообщение не прочитано
Предыдущая тема: смог над городом..
Следующая тема: Что за новостойки видны с Залива?
Переход к форуму:
  


Текущее время: пт дек #d 13:37:13 MSK 2024