Начало » Санкт-Петербург » Северные районы СПб » Пискаревский лесопарк и его окрестности (ул. Верности, Бутлерова, Карпинского, пр. Непокоренных)
| Re: Пискаревский лесопарк и его окрестности (ул. Верности, Бутлерова, Карпинского, пр. Непокоренных) [сообщение #160247 является ответом на сообщение #160228] |
вс, 17 ноября 2013 05:52   |
|
|
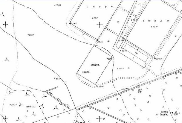
Удалось всё-таки более-менее точно определить местоположение кладбища относительно сегодняшней ситуации.
За основу взял немецкую аэрофотосъёмку времён ВОВ. Даже если допустить приличные искажения при съёмке ими можно пренебречь в силу небольшого размера кладбища. Плюс-минус пять метров существенной роли не играет. Это же не решение топографической задачи, где речь идёт о точности в 1 см.
Фрагмент АФС:

1,2,3 и 4 - это канавы, сохранившиеся по сегодняшний день
5 - противотанковый ров, превратившийся за 60 лет в канаву
6 - местоположение кладбища
фиол.линия - исчезнувший противот.ров
Кстати, масштаб на сайт с АФС показан с очень большой ошибкой, что привело к лишней трате времени.
фрагмент топоплана Треста ГРИИ 1992 г.[??] (аналогичен плану 1977 г.) и космоснимок с Wikimapia (читай Google Earth),где все эти контура также хорошо читаются:


Хотя в 1977 г. на этом месте уже существовала спорт.плошадка фут.школы (план несколько крупнее):

Таким образом кладбище оказалось в аккурат в центре футбол.поля СДЮСШОР "Смена"(ныне академия пресловутого "Зенита").
Вопросы могут возникнуть к бывшему директору Д.Н.Бесову, который бился с властями около десятка лет (в 1960-е годы), чтобы они выделили участок под строительство школы и соот-но фут.полей. На тот момент, когда было выделено место под фут.школу она занимала конечно же гораздо меньшую площадь. Но может он чего и помнит, но вряд ли скажет.
Возможно и при постройке школы и благоустройстве прилежайшего пространства (в пределах первоначально выделенной территории) славно поработали бульдозеры, перетащив камни с кладбища в сторону ул.Бутлерова.
Так что вообще-то непонятно, что нашли на стройке. От кладбища до стройки порядка 180-200 метров.
-
Вложение: клад ВОВ.jpg
(Размер: 61.80KB, Загружено 3341 раз)
-
Вложение: клад 1992.jpg
(Размер: 94.72KB, Загружено 2747 раз)
-
Вложение: клад Wiki.jpg
(Размер: 108.59KB, Загружено 2710 раз)
-
Вложение: площ.jpg
(Размер: 34.91KB, Загружено 2680 раз)
|
|
|
|
 |
|
Пискаревский лесопарк и его окрестности (ул. Верности, Бутлерова, Карпинского, пр. Непокоренных)
От: Antti - вс, 17 февраля 2008 00:49
|
 |
|
Re: Пискаревский лесопарк и его окрестности (ул. Верности, Бутлерова, Карпинского, пр. Непокоренных)
|
 |
|
Re: Пискаревский лесопарк и его окрестности (ул. Верности, Бутлерова, Карпинского, пр. Непокоренных)
От: passerby - вс, 17 февраля 2008 01:40
|
 |
|
Re: Пискаревский лесопарк и его окрестности (ул. Верности, Бутлерова, Карпинского, пр. Непокоренных)
От: Antti - вс, 17 февраля 2008 01:44
|
 |
|
Re: Пискаревский лесопарк и его окрестности (ул. Верности, Бутлерова, Карпинского, пр. Непокоренных)
|
 |
|
Re: Пискаревский лесопарк и его окрестности (ул. Верности, Бутлерова, Карпинского, пр. Непокоренных)
От: Slava_M - пн, 18 февраля 2008 13:06
|
 |
|
Re: Пискаревский лесопарк и его окрестности (ул. Верности, Бутлерова, Карпинского, пр. Непокоренных)
От: vadimvv - пн, 18 февраля 2008 14:32
|
 |
|
Re: Пискаревский лесопарк и его окрестности (ул. Верности, Бутлерова, Карпинского, пр. Непокоренных)
|
 |
|
Re: Пискаревский лесопарк и его окрестности (ул. Верности, Бутлерова, Карпинского, пр. Непокоренных)
От: Slava_M - пн, 18 февраля 2008 18:15
|
 |
|
Re: Пискаревский лесопарк и его окрестности (ул. Верности, Бутлерова, Карпинского, пр. Непокоренных)
|
 |
|
Re: Пискаревский лесопарк и его окрестности (ул. Верности, Бутлерова, Карпинского, пр. Непокоренных)
От: Antti - пн, 18 февраля 2008 19:14
|
 |
|
Re: Пискаревский лесопарк и его окрестности (ул. Верности, Бутлерова, Карпинского, пр. Непокоренных)
|
 |
|
Re: Пискаревский лесопарк и его окрестности (ул. Верности, Бутлерова, Карпинского, пр. Непокоренных)
|
 |
|
Re: Пискаревский лесопарк и его окрестности (ул. Верности, Бутлерова, Карпинского, пр. Непокоренных)
|
 |
|
Re: Пискаревский лесопарк и его окрестности (ул. Верности, Бутлерова, Карпинского, пр. Непокоренных)
От: Скаут - пн, 18 февраля 2008 21:57
|
 |
|
Re: Пискаревский лесопарк и его окрестности (ул. Верности, Бутлерова, Карпинского, пр. Непокоренных)
От: Antti - пн, 18 февраля 2008 23:47
|
 |
|
Re: Пискаревский лесопарк и его окрестности (ул. Верности, Бутлерова, Карпинского, пр. Непокоренных)
От: Родион - пн, 18 февраля 2008 20:32
|
 |
|
Re: Пискаревский лесопарк и его окрестности (ул. Верности, Бутлерова, Карпинского, пр. Непокоренных)
|
 |
|
Re: Пискаревский лесопарк и его окрестности (ул. Верности, Бутлерова, Карпинского, пр. Непокоренных)
От: passerby - пн, 18 февраля 2008 22:00
|
 |
|
Re: Пискаревский лесопарк и его окрестности (ул. Верности, Бутлерова, Карпинского, пр. Непокоренных)
От: Родион - пн, 18 февраля 2008 22:31
|
 |
|
Re: Пискаревский лесопарк и его окрестности (ул. Верности, Бутлерова, Карпинского, пр. Непокоренных)
|
 |
|
Артефакты другого рода
От: seawolf - вт, 19 февраля 2008 13:13
|
 |
|
Re: Артефакты другого рода
|
 |
|
Re: Артефакты другого рода
От: seawolf - вт, 19 февраля 2008 13:46
|
 |
|
ЗЫ: Артефакты другого рода
От: seawolf - вт, 19 февраля 2008 14:20
|
 |
|
Re: ЗЫ: Артефакты другого рода
|
 |
|
Re: ЗЫ: Артефакты другого рода
От: passerby - вт, 19 февраля 2008 14:41
|
 |
|
Re: ЗЫ: Артефакты другого рода
От: Antti - вт, 19 февраля 2008 19:41
|
 |
|
Re: ЗЫ: Артефакты другого рода
От: Скаут - вт, 19 февраля 2008 20:03
|
 |
|
Re: ЗЫ: Артефакты другого рода
|
 |
|
Re: ЗЫ: Артефакты другого рода
От: Antti - вт, 19 февраля 2008 20:45
|
 |
|
Re: Пискаревский лесопарк и его окрестности (ул. Верности, Бутлерова, Карпинского, пр. Непокоренных)
|
 |
|
Re: Пискаревский лесопарк и его окрестности (ул. Верности, Бутлерова, Карпинского, пр. Непокоренных)
От: Antti - вт, 19 февраля 2008 20:55
|
 |
|
Re: Пискаревский лесопарк и его окрестности (ул. Верности, Бутлерова, Карпинского, пр. Непокоренных)
|
 |
|
Re: Пискаревский лесопарк и его окрестности (ул. Верности, Бутлерова, Карпинского, пр. Непокоренных)
|
 |
|
Re: Пискаревский лесопарк и его окрестности (ул. Верности, Бутлерова, Карпинского, пр. Непокоренных)
|
 |
|
Re: Пискаревский лесопарк и его окрестности (ул. Верности, Бутлерова, Карпинского, пр. Непокоренных)
От: Родион - вт, 19 февраля 2008 23:12
|
 |
|
Re: Пискаревский лесопарк и его окрестности (ул. Верности, Бутлерова, Карпинского, пр. Непокоренных)
|
 |
|
Re: Пискаревский лесопарк и его окрестности (ул. Верности, Бутлерова, Карпинского, пр. Непокоренных)
От: Antti - чт, 28 февраля 2008 20:06
|
 |
|
Re: Пискаревский лесопарк и его окрестности (ул. Верности, Бутлерова, Карпинского, пр. Непокоренных)
|
 |
|
Re: Пискаревский лесопарк и его окрестности (ул. Верности, Бутлерова, Карпинского, пр. Непокоренных)
|
 |
|
Re: Пискаревский лесопарк и его окрестности (ул. Верности, Бутлерова, Карпинского, пр. Непокоренных)
|
 |
|
Пискаревский лесопарк_что за штуковина
|
 |
|
Re: Пискаревский лесопарк_что за штуковина
|
 |
|
Re: Пискаревский лесопарк_что за штуковина
|
 |
|
Re: Пискаревский лесопарк_что за штуковина
|
 |
|
Re: Пискаревский лесопарк_что за штуковина
|
 |
|
Re: Пискаревский лесопарк_что за штуковина
От: Скаут - чт, 06 марта 2008 21:02
|
 |
|
Re: Пискаревский лесопарк_что за штуковина
|
 |
|
Re: Пискаревский лесопарк_что за штуковина
От: Скаут - чт, 06 марта 2008 21:25
|
 |
|
Re: Пискаревский лесопарк_что за штуковина
|
 |
|
Re: Пискаревский лесопарк_что за штуковина
|
 |
|
Re: Пискаревский лесопарк_что за штуковина
|
 |
|
Re: Пискаревский лесопарк_что за штуковина
От: Скаут - пт, 07 марта 2008 12:44
|
 |
|
Re: Пискаревский лесопарк_что за штуковина
|
 |
|
Re: Пискаревский лесопарк_что за штуковина
От: Скаут - вс, 09 марта 2008 14:19
|
 |
|
Re: Пискаревский лесопарк_что за штуковина
|
 |
|
Re: Пискаревский лесопарк_что за штуковина
От: TeaPot - чт, 10 апреля 2008 23:54
|
 |
|
Re: Пискаревский лесопарк_что за штуковина
От: Mactac - пт, 11 апреля 2008 00:11
|
 |
|
Re: Пискаревский лесопарк_что за штуковина
|
 |
|
Re: Пискаревский лесопарк_что за штуковина
От: Antti - пт, 11 апреля 2008 00:13
|
 |
|
Re: Пискаревский лесопарк_что за штуковина
|
 |
|
Re: Пискаревский лесопарк_что за штуковина
От: TeaPot - пт, 11 апреля 2008 15:50
|
 |
|
Re: Пискаревский лесопарк_что за штуковина
|
 |
|
Re: Пискаревский лесопарк_что за штуковина
От: seawolf - пт, 11 апреля 2008 22:50
|
 |
|
Re: Пискаревский лесопарк_что за штуковина
От: TeaPot - сб, 19 апреля 2008 22:10
|
 |
|
Re: Пискаревский лесопарк_что за штуковина
|
 |
|
Re: Пискаревский лесопарк_что за штуковина
От: TeaPot - сб, 19 апреля 2008 22:24
|
 |
|
Re: Пискаревский лесопарк_что за штуковина
От: Antti - вс, 20 апреля 2008 00:44
|
 |
|
Пискаревский лесопарк_Амурская_Печорская
|
 |
|
Пискаревский лесопарк_с севера
|
 |
|
Re: Пискаревский лесопарк_с севера
От: DimaN - чт, 01 мая 2008 22:57
|
 |
|
Re: Пискаревский лесопарк_с севера
От: shperk - сб, 06 сентября 2008 08:43
|
 |
|
Re: Пискаревский лесопарк_с севера
|
 |
|
Re: Пискаревский лесопарк_с севера
От: shperk - чт, 18 сентября 2008 07:07
|
 |
|
Re: Пискаревский лесопарк_с севера
|
 |
|
откуда снято?
От: ems1986 - пт, 19 сентября 2008 02:22
|
 |
|
Re: откуда снято?
От: Бегемот - пт, 19 сентября 2008 09:11
|
 |
|
Re: откуда снято?
|
 |
|
Re: откуда снято?
|
 |
|
Re: откуда снято?
|
 |
|
Re: откуда снято?
От: shperk - пт, 19 сентября 2008 23:45
|
 |
|
Re: откуда снято?
|
 |
|
Re: откуда снято?
От: Ровный - ср, 09 января 2019 04:56
|
 |
|
Re: Пискаревский лесопарк_с севера
|
 |
|
Re: Пискаревский лесопарк_с севера
От: Wally - сб, 20 сентября 2008 09:38
|
 |
|
Re: Пискаревский лесопарк_с севера
|
 |
|
Re: Пискаревский лесопарк_с севера
От: Wally - сб, 20 сентября 2008 12:56
|
 |
|
Re: Пискаревский лесопарк_с севера
От: Бегемот - сб, 20 сентября 2008 13:35
|
 |
|
Re: Пискаревский лесопарк_с севера
От: Wally - сб, 20 сентября 2008 15:00
|
 |
|
Re: Пискаревский лесопарк_с севера
От: Бегемот - сб, 20 сентября 2008 19:39
|
 |
|
Re: Пискаревский лесопарк_с севера
От: Wally - вс, 21 сентября 2008 15:48
|
 |
|
Re: Пискаревский лесопарк_с севера
|
 |
|
Re: Пискаревский лесопарк_с севера
|
 |
|
Re: Пискаревский лесопарк_с севера
От: Wally - пн, 22 сентября 2008 05:18
|
 |
|
Re: Пискаревский лесопарк_с севера
От: Wally - пн, 22 сентября 2008 05:48
|
 |
|
Re: Пискаревский лесопарк_с севера
От: Бегемот - пн, 22 сентября 2008 08:59
|
 |
|
Re: Пискаревский лесопарк_с севера
От: Wally - пн, 22 сентября 2008 15:43
|
 |
|
Re: Пискаревский лесопарк_с севера
|
 |
|
Re: Пискаревский лесопарк_с севера
От: Бегемот - пн, 22 сентября 2008 19:00
|
 |
|
Re: Пискаревский лесопарк_с севера
От: Wally - пн, 22 сентября 2008 19:51
|
 |
|
Re: Пискаревский лесопарк_с севера
От: Бегемот - пн, 22 сентября 2008 20:51
|
 |
|
Re: Пискаревский лесопарк_с севера
От: Wally - вт, 23 сентября 2008 04:39
|
 |
|
Re: Пискаревский лесопарк_с севера
От: Antti - вт, 23 сентября 2008 18:19
|
 |
|
Re: Пискаревский лесопарк_с севера
От: Wally - вт, 23 сентября 2008 18:27
|
 |
|
Re: Пискаревский лесопарк_с севера
От: Antti - ср, 24 сентября 2008 01:49
|
 |
|
Re: Пискаревский лесопарк_с севера
От: Wally - ср, 24 сентября 2008 15:20
|
 |
|
Re: Пискаревский лесопарк_с севера
|
 |
|
Re: Пискаревский лесопарк_с севера
От: Wally - ср, 24 сентября 2008 17:38
|
 |
|
Re: Пискаревский лесопарк_с севера
От: Wally - ср, 24 сентября 2008 17:58
|
 |
|
Выб.район северная часть 1925
От: alexsvar - ср, 24 сентября 2008 19:38
|
 |
|
Re: Выб.район северная часть 1925
От: Wally - ср, 24 сентября 2008 20:20
|
 |
|
Re: Выб.район северная часть 1925
От: Parkend1 - вс, 26 февраля 2012 14:28
|
 |
|
Re: Выб.район северная часть 1925
От: DSROpen - ср, 24 сентября 2008 21:12
|
 |
|
Re: Выб.район северная часть 1925
От: alexsvar - ср, 24 сентября 2008 21:21
|
 |
|
Re: Выб.район северная часть 1925
От: DSROpen - чт, 25 сентября 2008 12:01
|
 |
|
Re: Выб.район северная часть 1925
От: alexsvar - чт, 25 сентября 2008 20:38
|
 |
|
Re: Выб.район северная часть 1925
|
 |
|
Re: Выб.район северная часть 1925
От: Денис С - чт, 25 сентября 2008 11:34
|
 |
|
Re: Выб.район северная часть 1925
|
 |
|
Re: Выб.район северная часть 1925
|
 |
|
Re: Выб.район северная часть 1925
|
 |
|
Re: Выб.район северная часть 1925
От: Modest - пт, 26 сентября 2008 21:37
|
 |
|
Re: Выб.район северная часть 1925
|
 |
|
Re: Выб.район северная часть 1925
От: seawolf - пт, 26 сентября 2008 22:42
|
 |
|
Re: Выб.район северная часть 1925
|
 |
|
Re: Выб.район северная часть 1925
|
 |
|
Re: Выб.район северная часть 1925
От: Parkend1 - вс, 26 февраля 2012 14:50
|
 |
|
Re: Выб.район северная часть 1925
От: Бегемот - сб, 27 сентября 2008 14:30
|
 |
|
Re: Выб.район северная часть 1925
От: Бегемот - сб, 27 сентября 2008 18:48
|
 |
|
Re: Выб.район северная часть 1925
От: shperk - сб, 04 октября 2008 13:36
|
 |
|
Re: Выб.район северная часть 1925
|
 |
|
Re: Выб.район северная часть 1925
От: Parkend1 - чт, 23 февраля 2012 00:42
|
 |
|
Re: Пискаревский лесопарк_с севера
|
 |
|
Re: Пискаревский лесопарк_с севера
От: Wally - ср, 24 сентября 2008 20:42
|
 |
|
Re: Пискаревский лесопарк_с севера
От: Бегемот - ср, 24 сентября 2008 20:53
|
 |
|
Re: Пискаревский лесопарк_с севера
От: alexsvar - ср, 24 сентября 2008 20:52
|
 |
|
Re: Пискаревский лесопарк_с севера
|
 |
|
Re: Пискаревский лесопарк_с севера
От: alexsvar - чт, 25 сентября 2008 20:37
|
 |
|
Re: Пискаревский лесопарк_с севера
От: Wally - чт, 25 сентября 2008 18:39
|
 |
|
Re: Пискаревский лесопарк_с севера
|
 |
|
Re: Пискаревский лесопарк_с севера
От: Wally - пт, 26 сентября 2008 05:14
|
 |
|
Re: Пискаревский лесопарк_с севера
От: Parkend1 - вс, 26 февраля 2012 15:23
|
 |
|
Re: Пискаревский лесопарк_с севера
|
 |
|
Re: Пискаревский лесопарк_с севера
|
 |
|
Re: Пискаревский лесопарк_с севера
|
 |
|
Re: Пискаревский лесопарк_с севера
|
 |
|
Re: Пискаревский лесопарк_с севера
|
 |
|
Re: Пискаревский лесопарк_с севера
|
 |
|
Re: Пискаревский лесопарк_с севера
|
 |
|
Re: Пискаревский лесопарк_с севера
|
 |
|
Re: Пискаревский лесопарк_с севера
|
 |
|
Геология
|
 |
|
Re: Геология
|
 |
|
Re: Пискаревский лесопарк_с севера
|
 |
|
Re: Пискаревский лесопарк_с севера
|
 |
|
Re: Пискаревский лесопарк_с севера
|
 |
|
ЖД
|
 |
|
Re: ЖД
От: Antti - чт, 20 ноября 2008 19:13
|
 |
|
Re: ЖД
|
 |
|
Re: ЖД
От: Antti - пт, 21 ноября 2008 23:10
|
 |
|
Re: ЖД
От: Parkend1 - вс, 26 февраля 2012 17:05
|
 |
|
Re: Пискаревский лесопарк_с севера
От: Parkend1 - вс, 26 февраля 2012 15:46
|
 |
|
Re: Пискаревский лесопарк_с севера
|
 |
|
Re: Пискаревский лесопарк_с севера
От: Wally - пн, 22 сентября 2008 19:47
|
 |
|
Re: Пискаревский лесопарк_с севера
От: Бегемот - вс, 05 октября 2008 14:55
|
 |
|
Re: Пискаревский лесопарк_с севера
|
 |
|
Re: Пискаревский лесопарк_с севера
|
 |
|
Re: Пискаревский лесопарк_с севера
|
 |
|
Re: Пискаревский лесопарк_с севера
От: Бегемот - вт, 14 октября 2008 20:09
|
 |
|
Присоединяюсь к просьбе
От: seawolf - вт, 14 октября 2008 20:11
|
 |
|
Re: Присоединяюсь к просьбе
|
 |
|
Re: Пискаревский лесопарк_с севера
От: smd2 - ср, 08 октября 2008 14:46
|
 |
|
Re: Пискаревский лесопарк_с севера
От: Бегемот - ср, 08 октября 2008 18:22
|
 |
|
Re: Пискаревский лесопарк_с севера
От: Wally - чт, 09 октября 2008 17:41
|
 |
|
Re: Пискаревский лесопарк_с севера
От: Бегемот - чт, 09 октября 2008 19:20
|
 |
|
Re: Пискаревский лесопарк_с севера
От: Wally - пт, 10 октября 2008 05:17
|
 |
|
Re: Пискаревский лесопарк_с севера
|
 |
|
Re: Пискаревский лесопарк_с севера
От: Wally - чт, 16 октября 2008 06:13
|
 |
|
Re: Пискаревский лесопарк_с севера
От: Бегемот - чт, 16 октября 2008 08:52
|
 |
|
Re: Пискаревский лесопарк_с севера
От: Hater - чт, 16 октября 2008 11:07
|
 |
|
Re: Пискаревский лесопарк_с севера
От: Petroff - чт, 16 октября 2008 17:11
|
 |
|
Re: Пискаревский лесопарк_с севера
|
 |
|
Re: Паровой трамвай на Б.Сампсониевском
От: Petroff - вт, 21 октября 2008 15:57
|
 |
|
Re: Паровой трамвай на Б.Сампсониевском
От: Бегемот - вс, 26 октября 2008 22:03
|
 |
|
Re: Паровой трамвай на Б.Сампсониевском
|
 |
|
Re: Паровой трамвай на Б.Сампсониевском
От: smd2 - пн, 27 октября 2008 13:01
|
 |
|
Re: Паровой трамвай на Б.Сампсониевском
От: smd2 - пн, 27 октября 2008 13:15
|
 |
|
Re: Паровой трамвай на Б.Сампсониевском
От: Wally - пн, 27 октября 2008 14:33
|
 |
|
Re: Паровой трамвай на Б.Сампсониевском
От: smd2 - пн, 27 октября 2008 15:00
|
 |
|
Re: Паровой трамвай на Б.Сампсониевском
От: Wally - пн, 27 октября 2008 16:11
|
 |
|
Re: Паровой трамвай на Б.Сампсониевском
От: shperk - вт, 28 октября 2008 21:23
|
 |
|
Re: Паровой трамвай на Б.Сампсониевском
От: Wally - ср, 29 октября 2008 09:07
|
 |
|
Re: Паровой трамвай на Б.Сампсониевском
|
 |
|
Re: Паровой трамвай на Б.Сампсониевском
От: Wally - ср, 29 октября 2008 13:40
|
 |
|
Re: Паровой трамвай на Б.Сампсониевском
|
 |
|
Re: Паровой трамвай на Б.Сампсониевском
От: Wally - ср, 29 октября 2008 14:13
|
 |
|
Re: Паровой трамвай на Б.Сампсониевском
От: Денис С - чт, 30 октября 2008 15:58
|
 |
|
Re: Пискаревский лесопарк_с севера
От: Modest - пн, 20 октября 2008 14:16
|
 |
|
Re: Пискаревский лесопарк_с севера
|
 |
|
Re: Пискаревский лесопарк_с севера
От: Бегемот - чт, 16 октября 2008 23:40
|
 |
|
Re: Пискаревский лесопарк_с севера
|
 |
|
Re: Пискаревский лесопарк_с севера
От: Бегемот - пт, 17 октября 2008 01:29
|
 |
|
Re: Пискаревский лесопарк_с севера
|
 |
|
Re: Пискаревский лесопарк_с севера
От: Parkend1 - вс, 26 февраля 2012 17:36
|
 |
|
Re: Пискаревский лесопарк_с севера
|
 |
|
Re: Пискаревский лесопарк_с севера
|
 |
|
Re: Пискаревский лесопарк_с севера
|
 |
|
Re: Пискаревский лесопарк_с севера
|
 |
|
Re: Пискаревский лесопарк_с севера
От: seawolf - ср, 08 апреля 2009 23:57
|
 |
|
Re: Пискаревский лесопарк_с севера
От: Piterr - чт, 09 апреля 2009 02:04
|
 |
|
Re: Пискаревский лесопарк_с севера
|
 |
|
Re: Пискаревский лесопарк_с севера
|
 |
|
Re: Пискаревский лесопарк_с севера
От: Piterr - чт, 09 апреля 2009 15:50
|
 |
|
Re: Пискаревский лесопарк_с севера
От: Бегемот - чт, 09 апреля 2009 17:59
|
 |
|
Re: Пискаревский лесопарк_с севера
|
 |
|
Re: Пискаревский лесопарк_с севера
|
 |
|
Re: Пискаревский лесопарк_с севера
|
 |
|
Re: Пискаревский лесопарк_с севера
|
 |
|
Re: Пискаревский лесопарк_с севера
|
 |
|
Re: Пискаревский лесопарк_с севера
|
 |
|
Re: Пискаревский лесопарк_с севера
От: ViktorZ - пн, 11 мая 2009 01:29
|
 |
|
Re: Пискаревский лесопарк_с севера
От: lzo_ - ср, 20 мая 2009 22:39
|
 |
|
Re: Пискаревский лесопарк_с севера
От: ViktorZ - ср, 27 мая 2009 22:04
|
 |
|
Re: Пискаревский лесопарк_с севера
От: raevsku - ср, 27 мая 2009 23:48
|
 |
|
Re: Пискаревский лесопарк_с севера
|
 |
|
Re: Пискаревский лесопарк_с севера
|
 |
|
Re: Пискаревский лесопарк_с севера
|
 |
|
затопило...
От: raevsku - чт, 28 мая 2009 14:44
|
 |
|
Re: Пискаревский лесопарк_с севера
От: Gulin - вт, 18 января 2011 16:51
|
 |
|
Re: Пискаревский лесопарк_с севера
|
 |
|
Re: Пискаревский лесопарк_с севера
От: Бегемот - вт, 18 января 2011 20:38
|
 |
|
Re: Пискаревский лесопарк_с севера
От: Parkend1 - вс, 26 февраля 2012 14:13
|
 |
|
Re: Пискаревский лесопарк_с севера
|
 |
|
Re: Пискаревский лесопарк_с севера
|
 |
|
Re: Пискаревский лесопарк_с севера
|
 |
|
Re: Пискаревский лесопарк_Амурская_Печорская
От: TeaPot - вс, 04 мая 2008 17:35
|
 |
|
Re: Пискаревский лесопарк_что за штуковина
От: seawolf - пт, 11 апреля 2008 22:41
|
 |
|
Re: Пискаревский лесопарк и его окрестности (ул. Верности, Бутлерова, Карпинского, пр. Непокоренных)
От: Antti - ср, 20 февраля 2008 00:23
|
 |
|
Re: Пискаревский лесопарк и его окрестности (ул. Верности, Бутлерова, Карпинского, пр. Непокоренных)
От: Родион - ср, 20 февраля 2008 01:37
|
 |
|
Re: Пискаревский лесопарк и его окрестности (ул. Верности, Бутлерова, Карпинского, пр. Непокоренных)
От: Antti - ср, 20 февраля 2008 01:43
|
 |
|
Re: Пискаревский лесопарк и его окрестности (ул. Верности, Бутлерова, Карпинского, пр. Непокоренных)
От: Родион - ср, 20 февраля 2008 01:52
|
 |
|
Re: Пискаревский лесопарк и его окрестности (ул. Верности, Бутлерова, Карпинского, пр. Непокоренных)
От: Antti - ср, 20 февраля 2008 01:56
|
 |
|
Re: Пискаревский лесопарк и его окрестности (ул. Верности, Бутлерова, Карпинского, пр. Непокоренных)
От: passerby - ср, 20 февраля 2008 03:05
|
 |
|
Re: Пискаревский лесопарк и его окрестности (ул. Верности, Бутлерова, Карпинского, пр. Непокоренных)
|
 |
|
Re: Пискаревский лесопарк и его окрестности (ул. Верности, Бутлерова, Карпинского, пр. Непокоренных)
От: passerby - ср, 20 февраля 2008 11:04
|
 |
|
Re: Пискаревский лесопарк и его окрестности (ул. Верности, Бутлерова, Карпинского, пр. Непокоренных)
|
 |
|
Жел. Дор. ветка по бутлерова.
От: passerby - ср, 20 февраля 2008 19:35
|
 |
|
Re: Жел. Дор. ветка по бутлерова.
|
 |
|
Re: Жел. Дор. ветка по бутлерова.
От: passerby - ср, 20 февраля 2008 20:33
|
 |
|
Re: Жел. Дор. ветка по бутлерова.
От: vadimvv - сб, 23 февраля 2008 01:00
|
 |
|
Непонятный объект?
От: passerby - чт, 21 февраля 2008 12:25
|
 |
|
противотанковый ров 5м шириной и 2м глубиной (-)
От: alexsvar - чт, 21 февраля 2008 12:43
|
 |
|
Re: Непонятный объект?
|
 |
|
Re: Непонятный объект?
|
 |
|
Re: Непонятный объект?
|
 |
|
Re: Непонятный объект?
От: vadimvv - сб, 23 февраля 2008 00:46
|
 |
|
Re: Непонятный объект?
От: passerby - вт, 26 февраля 2008 18:25
|
 |
|
схема ПТ заграждений на севере СПб
От: alexsvar - вт, 26 февраля 2008 20:06
|
 |
|
Re: схема ПТ заграждений на севере СПб
От: passerby - вт, 26 февраля 2008 20:40
|
 |
|
Re: схема ПТ заграждений на севере СПб
От: alexsvar - вт, 26 февраля 2008 22:03
|
 |
|
Re: схема ПТ заграждений на севере СПб
От: passerby - ср, 27 февраля 2008 00:05
|
 |
|
см. в Военно-историческом разделе +
От: alexsvar - ср, 27 февраля 2008 00:17
|
 |
|
Re: Непонятный объект?
От: Parkend1 - пн, 27 февраля 2012 20:22
|
 |
|
Re: Жел. Дор. ветка по бутлерова.
От: Родион - пт, 22 февраля 2008 01:06
|
 |
|
Re: Жел. Дор. ветка по бутлерова.
От: Romualdo - пт, 22 февраля 2008 17:10
|
 |
|
Re: Жел. Дор. ветка по бутлерова.
|
 |
|
Re: Жел. Дор. ветка по бутлерова.
От: passerby - сб, 23 февраля 2008 03:27
|
 |
|
Re: Пискаревский лесопарк и его окрестности (ул. Верности, Бутлерова, Карпинского, пр. Непокоренных)
|
 |
|
Re: Пискаревский лесопарк и его окрестности (ул. Верности, Бутлерова, Карпинского, пр. Непокоренных)
От: GParr - вт, 27 января 2009 10:01
|
 |
|
Re: Пискаревский лесопарк и его окрестности (ул. Верности, Бутлерова, Карпинского, пр. Непокоренных)
От: Vlad0001 - вт, 26 августа 2014 11:10
|
 |
|
Re: Пискаревский лесопарк и его окрестности (ул. Верности, Бутлерова, Карпинского, пр. Непокоренных)
|
 |
|
Re: Пискаревский лесопарк и его окрестности (ул. Верности, Бутлерова, Карпинского, пр. Непокоренных)
От: Vlad0001 - пт, 05 сентября 2014 13:41
|
 |
|
Re: Пискаревский лесопарк и его окрестности (ул. Верности, Бутлерова, Карпинского, пр. Непокоренных)
От: Алекс. - пт, 05 сентября 2014 21:21
|
 |
|
Re: Пискаревский лесопарк и его окрестности (ул. Верности, Бутлерова, Карпинского, пр. Непокоренных)
От: Vlad0001 - вт, 09 сентября 2014 10:47
|
 |
|
Re: Пискаревский лесопарк и его окрестности (ул. Верности, Бутлерова, Карпинского, пр. Непокоренных)
|
 |
|
Re: Пискаревский лесопарк и его окрестности (ул. Верности, Бутлерова, Карпинского, пр. Непокоренных)
От: Родион - пн, 18 февраля 2008 03:00
|
 |
|
Re: Пискаревский лесопарк и его окрестности (ул. Верности, Бутлерова, Карпинского, пр. Непокоренных)
От: passerby - пн, 18 февраля 2008 04:40
|
 |
|
Re: Пискаревский лесопарк и его окрестности (ул. Верности, Бутлерова, Карпинского, пр. Непокоренных)
От: passerby - пн, 18 февраля 2008 06:26
|
 |
|
Re: Пискаревский лесопарк и его окрестности (ул. Верности, Бутлерова, Карпинского, пр. Непокоренных)
От: GParr - ср, 28 января 2009 11:57
|
 |
|
Re: Пискаревский лесопарк и его окрестности (ул. Верности, Бутлерова, Карпинского, пр. Непокоренных)
От: GParr - ср, 28 января 2009 12:01
|
 |
|
Re: Пискаревский лесопарк и его окрестности (ул. Верности, Бутлерова, Карпинского, пр. Непокоренных)
От: GParr - ср, 28 января 2009 12:47
|
 |
|
Re: Пискаревский лесопарк и его окрестности (ул. Верности, Бутлерова, Карпинского, пр. Непокоренных)
|
 |
|
Re: Пискаревский лесопарк и его окрестности (ул. Верности, Бутлерова, Карпинского, пр. Непокоренных)
От: GParr - ср, 28 января 2009 12:53
|
 |
|
Re: Пискаревский лесопарк и его окрестности (ул. Верности, Бутлерова, Карпинского, пр. Непокоренных)
От: GParr - ср, 28 января 2009 12:55
|
 |
|
Re: Пискаревский лесопарк и его окрестности (ул. Верности, Бутлерова, Карпинского, пр. Непокоренных)
От: GParr - ср, 28 января 2009 13:19
|
 |
|
Пискаревский лесопарк и его окрестности Богословское и пискарёвское
От: ALAXE - чт, 05 февраля 2009 05:01
|
 |
|
Re: Пискаревский лесопарк и его окрестности Богословское и пискарёвское
От: alexsvar - чт, 05 февраля 2009 09:58
|
 |
|
Re: Пискаревский лесопарк и его окрестности Богословское и пискарёвское
|
 |
|
Re: Пискаревский лесопарк и его окрестности Богословское и пискарёвское
От: ALAXE - чт, 05 февраля 2009 16:09
|
 |
|
Re: Пискаревский лесопарк и его окрестности Богословское и пискарёвское
|
 |
|
Re: Пискаревский лесопарк и его окрестности Богословское и пискарёвское
От: GParr - вт, 03 марта 2009 15:41
|
 |
|
Re: Пискаревский лесопарк и его окрестности (ул. Верности, Бутлерова, Карпинского, пр. Непокоренных)
|
 |
|
Re: Пискаревский лесопарк и его окрестности (ул. Верности, Бутлерова, Карпинского, пр. Непокоренных)
|
 |
|
Re: угол Непокоренных и Гражданского
От: MPil - ср, 05 ноября 2008 11:48
|
 |
|
Re: угол Непокоренных и Гражданского
|
 |
|
Re: угол Непокоренных и Гражданского
От: Бегемот - ср, 05 ноября 2008 12:47
|
 |
|
Re: угол Непокоренных и Гражданского
От: MPil - ср, 05 ноября 2008 14:32
|
 |
|
Re: угол Непокоренных и Гражданского
От: smd2 - ср, 05 ноября 2008 15:09
|
 |
|
Re: сквер у Ланской
От: MPil - ср, 05 ноября 2008 15:31
|
 |
|
Re: сквер у Ланской
От: smd2 - ср, 05 ноября 2008 15:52
|
 |
|
Re: сквер у Ланской
От: Бегемот - ср, 05 ноября 2008 21:38
|
 |
|
Кушелевка - Непокорённых - Пискарёвка
|
 |
|
Re: Кушелевка - Непокорённых - Пискарёвка
От: ALAXE - чт, 05 февраля 2009 04:51
|
 |
|
Re: Ланская
От: MPil - вт, 11 ноября 2008 11:13
|
 |
|
Re: Ланская
От: MPil - вт, 11 ноября 2008 11:14
|
 |
|
Re: Ланская
От: nkvlad - вт, 11 ноября 2008 18:08
|
 |
|
Первый - не раньше 1957г (+)
От: Dr.Moro - чт, 13 ноября 2008 21:32
|
 |
|
Какая редкая машинка на первой фотке
От: Dr.Moro - чт, 13 ноября 2008 21:30
|
 |
|
Re: Ланская
От: Dj miff - ср, 04 марта 2009 22:51
|
 |
|
Re: Пискаревский лесопарк и его окрестности (ул. Верности, Бутлерова, Карпинского, пр. Непокоренных)
От: Призрак - вс, 14 марта 2010 08:57
|
 |
|
Re: Пискаревский лесопарк и его окрестности (ул. Верности, Бутлерова, Карпинского, пр. Непокоренных)
От: Буквоед - вс, 14 марта 2010 10:47
|
 |
|
Re: Пискаревский лесопарк и его окрестности (ул. Верности, Бутлерова, Карпинского, пр. Непокоренных)
|
 |
|
Re: Пискаревский лесопарк и его окрестности (ул. Верности, Бутлерова, Карпинского, пр. Непокоренных)
От: Призрак - вс, 14 марта 2010 23:49
|
 |
|
Re: Пискаревский лесопарк и его окрестности (ул. Верности, Бутлерова, Карпинского, пр. Непокоренных)
|
 |
|
Re: Пискаревский лесопарк и его окрестности (ул. Верности, Бутлерова, Карпинского, пр. Непокоренных)
От: Призрак - вс, 14 марта 2010 23:57
|
 |
|
Re: Пискаревский лесопарк и его окрестности (ул. Верности, Бутлерова, Карпинского, пр. Непокоренных)
|
 |
|
Re: Пискаревский лесопарк и его окрестности (ул. Верности, Бутлерова, Карпинского, пр. Непокоренных)
|
 |
|
Re: Пискаревский лесопарк и его окрестности (ул. Верности, Бутлерова, Карпинского, пр. Непокоренных)
От: Призрак - вс, 14 марта 2010 23:45
|
 |
|
Re: Пискаревский лесопарк и его окрестности (ул. Верности, Бутлерова, Карпинского, пр. Непокоренных)
|
 |
|
Re: Пискаревский лесопарк и его окрестности (ул. Верности, Бутлерова, Карпинского, пр. Непокоренных)
От: Призрак - пн, 15 марта 2010 14:11
|
 |
|
Re: Пискаревский лесопарк и его окрестности (ул. Верности, Бутлерова, Карпинского, пр. Непокоренных)
|
 |
|
Re: Пискаревский лесопарк и его окрестности (ул. Верности, Бутлерова, Карпинского, пр. Непокоренных)
|
 |
|
Re: Пискаревский лесопарк и его окрестности (ул. Верности, Бутлерова, Карпинского, пр. Непокоренных)
От: Antti - пн, 15 марта 2010 19:08
|
 |
|
Re: Пискаревский лесопарк и его окрестности (ул. Верности, Бутлерова, Карпинского, пр. Непокоренных)
|
 |
|
Re: Пискаревский лесопарк и его окрестности (ул. Верности, Бутлерова, Карпинского, пр. Непокоренных)
От: Призрак - пн, 15 марта 2010 21:41
|
 |
|
Re: Пискаревский лесопарк и его окрестности (ул. Верности, Бутлерова, Карпинского, пр. Непокоренных)
От: Antti - вт, 16 марта 2010 02:31
|
 |
|
Re: Пискаревский лесопарк и его окрестности (ул. Верности, Бутлерова, Карпинского, пр. Непокоренных)
|
 |
|
Re: Пискаревский лесопарк и его окрестности (ул. Верности, Бутлерова, Карпинского, пр. Непокоренных)
|
 |
|
Re: Пискаревский лесопарк и его окрестности (ул. Верности, Бутлерова, Карпинского, пр. Непокоренных)
|
 |
|
Re: Пискаревский лесопарк и его окрестности (ул. Верности, Бутлерова, Карпинского, пр. Непокоренных)
|
 |
|
Re: Пискаревский лесопарк и его окрестности (ул. Верности, Бутлерова, Карпинского, пр. Непокоренных)
|
 |
|
Re: Пискаревский лесопарк и его окрестности (ул. Верности, Бутлерова, Карпинского, пр. Непокоренных)
От: Hater - вт, 16 марта 2010 09:09
|
 |
|
Re: Пискаревский лесопарк и его окрестности (ул. Верности, Бутлерова, Карпинского, пр. Непокоренных)
|
 |
|
Re: сквер у Ланской
От: Данила - ср, 16 марта 2016 00:36
|
 |
|
Re: сквер у Ланской
От: Буквоед - ср, 16 марта 2016 10:16
|
 |
|
Re: сквер у Ланской
|
 |
|
Re: сквер у Ланской
От: avam - ср, 16 марта 2016 17:13
|
 |
|
Re: угол Непокоренных и Гражданского
|
 |
|
Re: угол Непокоренных и Гражданского
От: seawolf - ср, 05 ноября 2008 23:40
|
 |
|
Re: угол Непокоренных и Гражданского
|
 |
|
Re: угол Непокоренных и Гражданского
От: Antti - чт, 06 ноября 2008 00:21
|
 |
|
Re: угол Непокоренных и Гражданского
От: MPil - чт, 06 ноября 2008 12:23
|
 |
|
Re: угол Непокоренных и Гражданского
|
 |
|
Re: угол Непокоренных и Гражданского
От: MPil - чт, 06 ноября 2008 16:01
|
 |
|
Re: угол Непокоренных и Гражданского
|
 |
|
Re: угол Непокоренных и Гражданского
|
 |
|
Еще пара фоток - Выборгский район
От: MPil - пт, 07 ноября 2008 11:45
|
 |
|
Re: Еще пара фоток - Выборгский район
От: smd2 - пт, 07 ноября 2008 12:34
|
 |
|
Re: Еще пара фоток - Выборгский район
От: Бегемот - пт, 07 ноября 2008 12:51
|
 |
|
Re: Еще пара фоток - Выборгский район
От: MPil - пт, 07 ноября 2008 13:39
|
 |
|
Re: Еще пара фоток - Выборгский район
|
 |
|
Re: Еще пара фоток - Выборгский район
От: MPil - пт, 07 ноября 2008 14:12
|
 |
|
Re: Еще пара фоток - Выборгский район
|
 |
|
Re: Еще пара фоток - Выборгский район
От: autumn - пт, 07 ноября 2008 15:06
|
 |
|
Re: Еще пара фоток - Выборгский район
|
 |
|
Re: Еще пара фоток - Выборгский район
От: Бегемот - пт, 07 ноября 2008 16:22
|
 |
|
Re: Еще пара фоток - Выборгский район
От: Бегемот - пт, 07 ноября 2008 17:25
|
 |
|
Re: Еще пара фоток - Выборгский район
|
 |
|
Да, далековато от Выборгского района...
От: MPil - пт, 07 ноября 2008 19:59
|
 |
|
Re: Да, далековато от Выборгского района...
От: Antti - сб, 08 ноября 2008 19:49
|
 |
|
Re: Еще фотки
От: MPil - пн, 10 ноября 2008 10:38
|
 |
|
Re: Еще фотки
От: DimaN - пн, 10 ноября 2008 10:51
|
 |
|
Re: Еще фотки
|
 |
|
Re: Еще фотки
От: Бегемот - пн, 10 ноября 2008 11:45
|
 |
|
Re: Еще фотки
|
 |
|
Re: Еще фотки
От: DimaN - пн, 10 ноября 2008 18:03
|
 |
|
Re: Еще фотки
От: Antti - пн, 10 ноября 2008 20:09
|
 |
|
Re: Еще фотки
От: Wally - вт, 11 ноября 2008 04:58
|
 |
|
Голосую "за" за Кондратьевский
От: Dr.Moro - чт, 13 ноября 2008 21:45
|
 |
|
Re: Еще пара фоток - Выборгский район
От: Николай - пт, 11 сентября 2009 18:38
|
 |
|
Re: угол Непокоренных и Гражданского
От: Бегемот - чт, 06 ноября 2008 16:36
|
 |
|
Непокоренных 46
От: seawolf - чт, 06 ноября 2008 18:12
|
 |
|
Re: Пискаревский лесопарк и его окрестности (ул. Верности, Бутлерова, Карпинского, пр. Непокоренных)
|
 |
|
Re: Пискаревский лесопарк и его окрестности (ул. Верности, Бутлерова, Карпинского, пр. Непокоренных)
|
 |
|
Re: Пискаревский лесопарк и его окрестности (ул. Верности, Бутлерова, Карпинского, пр. Непокоренных)
|
 |
|
Re: Пискаревский лесопарк и его окрестности (ул. Верности, Бутлерова, Карпинского, пр. Непокоренных)
|
 |
|
Re: Пискаревский лесопарк и его окрестности (ул. Верности, Бутлерова, Карпинского, пр. Непокоренных)
|
 |
|
Re: Пискаревский лесопарк и его окрестности (ул. Верности, Бутлерова, Карпинского, пр. Непокоренных)
|
 |
|
Про теплоцентраль позволю дополнить, ибо история
От: AlexM - чт, 05 марта 2009 23:05
|
 |
|
Re: Про теплоцентраль позволю дополнить, ибо история
|
 |
|
Re: Про теплоцентраль позволю дополнить, ибо история
|
 |
|
Re: Про теплоцентраль позволю дополнить, ибо история
|
 |
|
Re: Про теплоцентраль позволю дополнить, ибо история
|
 |
|
Re: Про теплоцентраль позволю дополнить, ибо история
От: Antti - пт, 06 марта 2009 19:35
|
 |
|
Re: Про теплоцентраль позволю дополнить, ибо история
|
 |
|
Re: Про теплоцентраль позволю дополнить, ибо история
От: Antti - пт, 06 марта 2009 21:55
|
 |
|
Re: Пискаревский лесопарк и его окрестности (ул. Верности, Бутлерова, Карпинского, пр. Непокоренных)
От: Комдир - чт, 05 марта 2009 23:29
|
 |
|
Re: Пискаревский лесопарк и его окрестности (ул. Верности, Бутлерова, Карпинского, пр. Непокоренных)
|
 |
|
Re: Пискаревский лесопарк и его окрестности (ул. Верности, Бутлерова, Карпинского, пр. Непокоренных)
|
 |
|
Re: Пискаревский лесопарк и его окрестности (ул. Верности, Бутлерова, Карпинского, пр. Непокоренных)
|
 |
|
Re: Пискаревский лесопарк и его окрестности (ул. Верности, Бутлерова, Карпинского, пр. Непокоренных)
|
 |
|
Re: Пискаревский лесопарк и его окрестности (ул. Верности, Бутлерова, Карпинского, пр. Непокоренных)
От: shperk - сб, 21 марта 2009 19:36
|
 |
|
Re: Пискаревский лесопарк и его окрестности (ул. Верности, Бутлерова, Карпинского, пр. Непокоренных)
|
 |
|
Re: Пискаревский лесопарк и его окрестности (ул. Верности, Бутлерова, Карпинского, пр. Непокоренных)
От: Piterr - вс, 05 апреля 2009 04:25
|
 |
|
Re: Пискаревский лесопарк и его окрестности (ул. Верности, Бутлерова, Карпинского, пр. Непокоренных)
|
 |
|
Re: Пискаревский лесопарк и его окрестности (ул. Верности, Бутлерова, Карпинского, пр. Непокоренных)
|
 |
|
Re: Пискаревский лесопарк и его окрестности (ул. Верности, Бутлерова, Карпинского, пр. Непокоренных)
От: Piterr - вс, 05 апреля 2009 15:42
|
 |
|
Re: Пискаревский лесопарк и его окрестности (ул. Верности, Бутлерова, Карпинского, пр. Непокоренных)
|
 |
|
Re: Пискаревский лесопарк и его окрестности (ул. Верности, Бутлерова, Карпинского, пр. Непокоренных)
|
 |
|
Re: Пискаревский лесопарк и его окрестности (ул. Верности, Бутлерова, Карпинского, пр. Непокоренных)
|
 |
|
Re: Пискаревский лесопарк и его окрестности (ул. Верности, Бутлерова, Карпинского, пр. Непокоренных)
|
 |
|
Re: Пискаревский лесопарк и его окрестности (ул. Верности, Бутлерова, Карпинского, пр. Непокоренных)
|
 |
|
Re: Пискаревский лесопарк и его окрестности (ул. Верности, Бутлерова, Карпинского, пр. Непокоренных)
|
 |
|
Re: Пискаревский лесопарк и его окрестности (ул. Верности, Бутлерова, Карпинского, пр. Непокоренных)
|
 |
|
Re: Пискаревский лесопарк и его окрестности (ул. Верности, Бутлерова, Карпинского, пр. Непокоренных)
|
 |
|
Re: Пискаревский лесопарк и его окрестности (ул. Верности, Бутлерова, Карпинского, пр. Непокоренных)
|
 |
|
Re: Пискаревский лесопарк и его окрестности (ул. Верности, Бутлерова, Карпинского, пр. Непокоренных)
|
 |
|
Re: Пискаревский лесопарк и его окрестности (ул. Верности, Бутлерова, Карпинского, пр. Непокоренных)
От: seawolf - вт, 05 января 2010 23:40
|
 |
|
Re: Пискаревский лесопарк и его окрестности (ул. Верности, Бутлерова, Карпинского, пр. Непокоренных)
От: vadimvv - ср, 06 января 2010 01:25
|
 |
|
Re: Пискаревский лесопарк и его окрестности (ул. Верности, Бутлерова, Карпинского, пр. Непокоренных)
От: mutabor - чт, 19 августа 2010 11:22
|
 |
|
Re: Пискаревский лесопарк и его окрестности (ул. Верности, Бутлерова, Карпинского, пр. Непокоренных)
От: Antti - чт, 19 августа 2010 17:50
|
 |
|
Re: Пискаревский лесопарк и его окрестности (ул. Верности, Бутлерова, Карпинского, пр. Непокоренных)
От: wehrwolf - чт, 19 августа 2010 21:29
|
 |
|
Re: Пискаревский лесопарк и его окрестности (ул. Верности, Бутлерова, Карпинского, пр. Непокоренных)
От: mutabor - пт, 20 августа 2010 09:41
|
 |
|
Re: Пискаревский лесопарк и его окрестности (ул. Верности, Бутлерова, Карпинского, пр. Непокоренных)
От: vadimvv - пт, 20 августа 2010 13:44
|
 |
|
Re: Пискаревский лесопарк и его окрестности (ул. Верности, Бутлерова, Карпинского, пр. Непокоренных)
От: mutabor - пт, 20 августа 2010 17:39
|
 |
|
Re: Пискаревский лесопарк и его окрестности (ул. Верности, Бутлерова, Карпинского, пр. Непокоренных)
|
 |
|
Re: Пискаревский лесопарк и его окрестности (ул. Верности, Бутлерова, Карпинского, пр. Непокоренных)
От: Modest - пн, 23 августа 2010 14:02
|
 |
|
Re: Пискаревский лесопарк и его окрестности (ул. Верности, Бутлерова, Карпинского, пр. Непокоренных)
От: shperk - вт, 07 сентября 2010 14:40
|
 |
|
Re: Пискаревский лесопарк и его окрестности (ул. Верности, Бутлерова, Карпинского, пр. Непокоренных)
|
 |
|
Re: Пискаревский лесопарк и его окрестности (ул. Верности, Бутлерова, Карпинского, пр. Непокоренных)
От: wehrwolf - чт, 09 сентября 2010 21:54
|
 |
|
Re: Пискаревский лесопарк и его окрестности (ул. Верности, Бутлерова, Карпинского, пр. Непокоренных)
От: wehrwolf - пт, 10 сентября 2010 17:09
|
 |
|
Re: Пискаревский лесопарк и его окрестности (ул. Верности, Бутлерова, Карпинского, пр. Непокоренных)
От: ninibel - пт, 10 сентября 2010 17:59
|
 |
|
Re: Пискаревский лесопарк и его окрестности (ул. Верности, Бутлерова, Карпинского, пр. Непокоренных)
|
 |
|
Re: Пискаревский лесопарк и его окрестности (ул. Верности, Бутлерова, Карпинского, пр. Непокоренных)
|
 |
|
Re: Пискаревский лесопарк и его окрестности (ул. Верности, Бутлерова, Карпинского, пр. Непокоренных)
|
 |
|
Re: Пискаревский лесопарк и его окрестности (ул. Верности, Бутлерова, Карпинского, пр. Непокоренных)
От: mr_doubt - пт, 10 сентября 2010 21:27
|
 |
|
Re: Пискаревский лесопарк и его окрестности (ул. Верности, Бутлерова, Карпинского, пр. Непокоренных)
От: mr_doubt - пт, 10 сентября 2010 21:31
|
 |
|
Re: Пискаревский лесопарк и его окрестности (ул. Верности, Бутлерова, Карпинского, пр. Непокоренных)
|
 |
|
Re: Пискаревский лесопарк и его окрестности (ул. Верности, Бутлерова, Карпинского, пр. Непокоренных)
|
 |
|
Re: Пискаревский лесопарк и его окрестности (ул. Верности, Бутлерова, Карпинского, пр. Непокоренных)
От: baksik - чт, 19 августа 2010 21:16
|
 |
|
Re: Пискаревский лесопарк и его окрестности (ул. Верности, Бутлерова, Карпинского, пр. Непокоренных)
|
 |
|
Re: Пискаревский лесопарк и его окрестности (ул. Верности, Бутлерова, Карпинского, пр. Непокоренных)
От: ingener - чт, 07 октября 2010 22:35
|
 |
|
Re: Пискаревский лесопарк и его окрестности (ул. Верности, Бутлерова, Карпинского, пр. Непокоренных)
От: mutabor - пн, 18 октября 2010 17:36
|
 |
|
Re: Пискаревский лесопарк и его окрестности (ул. Верности, Бутлерова, Карпинского, пр. Непокоренных)
|
 |
|
Re: Пискаревский лесопарк и его окрестности (ул. Верности, Бутлерова, Карпинского, пр. Непокоренных)
От: shperk - пн, 01 февраля 2010 20:10
|
 |
|
Re: Пискаревский лесопарк и его окрестности (ул. Верности, Бутлерова, Карпинского, пр. Непокоренных)
|
 |
|
Re: Пискаревский лесопарк и его окрестности (ул. Верности, Бутлерова, Карпинского, пр. Непокоренных)
|
 |
|
Краеведческий поход :)
От: Antti - ср, 07 апреля 2010 21:13
|
 |
|
Re: Краеведческий поход :)
От: seawolf - ср, 07 апреля 2010 22:29
|
 |
|
Re: Краеведческий поход :)
|
 |
|
Re: Краеведческий поход :)
|
 |
|
Re: Краеведческий поход :)
От: Antti - чт, 08 апреля 2010 00:08
|
 |
|
Re: Краеведческий поход :)
|
 |
|
Re: Краеведческий поход :)
|
 |
|
Re: Краеведческий поход :)
|
 |
|
Re: Краеведческий поход :)
От: Antti - чт, 08 апреля 2010 17:45
|
 |
|
Re: Краеведческий поход :)
|
 |
|
Re: Краеведческий поход :)
От: Antti - вт, 13 апреля 2010 21:12
|
 |
|
Re: Краеведческий поход :)
|
 |
|
Re: Краеведческий поход :)
От: seawolf - вт, 13 апреля 2010 22:07
|
 |
|
Re: Краеведческий поход :)
От: seawolf - сб, 24 апреля 2010 04:18
|
 |
|
Re: Краеведческий поход :)
От: Призрак - вт, 13 апреля 2010 23:19
|
 |
|
Re: Краеведческий поход :)
От: Призрак - пт, 23 апреля 2010 15:42
|
 |
|
Re: Краеведческий поход :)
От: Antti - пт, 23 апреля 2010 18:06
|
 |
|
Re: Краеведческий поход :)
От: Призрак - пт, 23 апреля 2010 23:39
|
 |
|
Re: Краеведческий поход :)
|
 |
|
Re: Краеведческий поход :)
От: Antti - вс, 25 апреля 2010 17:19
|
 |
|
Re: Краеведческий поход :)
От: Призрак - вс, 25 апреля 2010 22:46
|
 |
|
Re: Краеведческий поход :)
|
 |
|
Re: Пискаревский лесопарк и его окрестности (ул. Верности, Бутлерова, Карпинского, пр. Непокоренных)
От: Призрак - пн, 03 мая 2010 23:24
|
 |
|
Re: Пискаревский лесопарк и его окрестности (ул. Верности, Бутлерова, Карпинского, пр. Непокоренных)
|
 |
|
Re: Пискаревский лесопарк и его окрестности (ул. Верности, Бутлерова, Карпинского, пр. Непокоренных)
|
 |
|
Re: Пискаревский лесопарк и его окрестности (ул. Верности, Бутлерова, Карпинского, пр. Непокоренных)
|
 |
|
Re: Пискаревский лесопарк и его окрестности (ул. Верности, Бутлерова, Карпинского, пр. Непокоренных)
|
 |
|
Re: Пискаревский лесопарк и его окрестности (ул. Верности, Бутлерова, Карпинского, пр. Непокоренных)
|
 |
|
Re: Пискаревский лесопарк и его окрестности (ул. Верности, Бутлерова, Карпинского, пр. Непокоренных)
|
 |
|
Re: Пискаревский лесопарк и его окрестности (ул. Верности, Бутлерова, Карпинского, пр. Непокоренных)
|
 |
|
Re: Пискаревский лесопарк и его окрестности (ул. Верности, Бутлерова, Карпинского, пр. Непокоренных)
|
 |
|
Re: Пискаревский лесопарк и его окрестности (ул. Верности, Бутлерова, Карпинского, пр. Непокоренных)
От: vadimvv - чт, 06 мая 2010 21:47
|
 |
|
Re: Пискаревский лесопарк и его окрестности (ул. Верности, Бутлерова, Карпинского, пр. Непокоренных)
|
 |
|
Re: Пискаревский лесопарк и его окрестности (ул. Верности, Бутлерова, Карпинского, пр. Непокоренных)
От: vadimvv - пт, 07 мая 2010 12:20
|
 |
|
Re: Пискаревский лесопарк и его окрестности (ул. Верности, Бутлерова, Карпинского, пр. Непокоренных)
|
 |
|
Re: Пискаревский лесопарк и его окрестности (ул. Верности, Бутлерова, Карпинского, пр. Непокоренных)
От: vadimvv - пт, 07 мая 2010 16:45
|
 |
|
Re: Пискаревский лесопарк и его окрестности (ул. Верности, Бутлерова, Карпинского, пр. Непокоренных)
|
 |
|
Re: Пискаревский лесопарк и его окрестности (ул. Верности, Бутлерова, Карпинского, пр. Непокоренных)
От: vadimvv - сб, 08 мая 2010 09:42
|
 |
|
Re: Пискаревский лесопарк и его окрестности (ул. Верности, Бутлерова, Карпинского, пр. Непокоренных)
От: Призрак - пн, 17 мая 2010 16:42
|
 |
|
Re: Пискаревский лесопарк и его окрестности (ул. Верности, Бутлерова, Карпинского, пр. Непокоренных)
|
 |
|
Re: Пискаревский лесопарк и его окрестности (ул. Верности, Бутлерова, Карпинского, пр. Непокоренных)
От: Призрак - пн, 17 мая 2010 20:29
|
 |
|
Re: Пискаревский лесопарк и его окрестности (ул. Верности, Бутлерова, Карпинского, пр. Непокоренных)
От: Antti - пн, 17 мая 2010 21:22
|
 |
|
Re: Пискаревский лесопарк и его окрестности (ул. Верности, Бутлерова, Карпинского, пр. Непокоренных)
От: seawolf - пн, 17 мая 2010 22:17
|
 |
|
Re: Пискаревский лесопарк и его окрестности (ул. Верности, Бутлерова, Карпинского, пр. Непокоренных)
От: Призрак - пн, 17 мая 2010 23:16
|
 |
|
Re: Пискаревский лесопарк и его окрестности (ул. Верности, Бутлерова, Карпинского, пр. Непокоренных)
От: seawolf - пн, 17 мая 2010 23:31
|
 |
|
Re: Пискаревский лесопарк и его окрестности (ул. Верности, Бутлерова, Карпинского, пр. Непокоренных)
|
 |
|
Re: Пискаревский лесопарк и его окрестности (ул. Верности, Бутлерова, Карпинского, пр. Непокоренных)
От: Призрак - вт, 18 мая 2010 02:27
|
 |
|
Re: Пискаревский лесопарк и его окрестности (ул. Верности, Бутлерова, Карпинского, пр. Непокоренных)
|
 |
|
Re: Пискаревский лесопарк и его окрестности (ул. Верности, Бутлерова, Карпинского, пр. Непокоренных)
От: Призрак - вт, 18 мая 2010 13:38
|
 |
|
Re: Пискаревский лесопарк и его окрестности (ул. Верности, Бутлерова, Карпинского, пр. Непокоренных)
От: Antti - вт, 18 мая 2010 17:58
|
 |
|
Re: Пискаревский лесопарк и его окрестности (ул. Верности, Бутлерова, Карпинского, пр. Непокоренных)
От: Призрак - вт, 18 мая 2010 18:04
|
 |
|
Re: Пискаревский лесопарк и его окрестности (ул. Верности, Бутлерова, Карпинского, пр. Непокоренных)
От: Antti - пн, 31 мая 2010 21:16
|
 |
|
Re: Пискаревский лесопарк и его окрестности (ул. Верности, Бутлерова, Карпинского, пр. Непокоренных)
|
 |
|
Re: Пискаревский лесопарк и его окрестности (ул. Верности, Бутлерова, Карпинского, пр. Непокоренных)
От: Призрак - пн, 17 мая 2010 22:01
|
 |
|
Re: Пискаревский лесопарк и его окрестности (ул. Верности, Бутлерова, Карпинского, пр. Непокоренных)
От: Призрак - вт, 01 июня 2010 11:16
|
 |
|
Re: Пискаревский лесопарк и его окрестности (ул. Верности, Бутлерова, Карпинского, пр. Непокоренных)
|
 |
|
Re: Пискаревский лесопарк и его окрестности (ул. Верности, Бутлерова, Карпинского, пр. Непокоренных)
От: raevsku - вт, 01 июня 2010 21:47
|
 |
|
Re: Пискаревский лесопарк и его окрестности (ул. Верности, Бутлерова, Карпинского, пр. Непокоренных)
|
 |
|
Re: Пискаревский лесопарк и его окрестности (ул. Верности, Бутлерова, Карпинского, пр. Непокоренных)
От: Призрак - ср, 02 июня 2010 06:33
|
 |
|
Re: Пискаревский лесопарк и его окрестности (ул. Верности, Бутлерова, Карпинского, пр. Непокоренных)
|
 |
|
Re: Пискаревский лесопарк и его окрестности (ул. Верности, Бутлерова, Карпинского, пр. Непокоренных)
От: Призрак - ср, 02 июня 2010 20:40
|
 |
|
Re: Пискаревский лесопарк и его окрестности (ул. Верности, Бутлерова, Карпинского, пр. Непокоренных)
|
 |
|
Re: Пискаревский лесопарк и его окрестности (ул. Верности, Бутлерова, Карпинского, пр. Непокоренных)
От: Призрак - ср, 02 июня 2010 22:25
|
 |
|
Re: Пискаревский лесопарк и его окрестности (ул. Верности, Бутлерова, Карпинского, пр. Непокоренных)
От: vadimvv - ср, 02 июня 2010 23:06
|
 |
|
Re: Пискаревский лесопарк и его окрестности (ул. Верности, Бутлерова, Карпинского, пр. Непокоренных)
|
 |
|
Re: Пискаревский лесопарк и его окрестности (ул. Верности, Бутлерова, Карпинского, пр. Непокоренных)
От: Slava_M - вт, 06 июля 2010 11:01
|
 |
|
Re: Пискаревский лесопарк и его окрестности (ул. Верности, Бутлерова, Карпинского, пр. Непокоренных)
|
 |
|
Re: Пискаревский лесопарк и его окрестности (ул. Верности, Бутлерова, Карпинского, пр. Непокоренных)
От: Antti - вт, 06 июля 2010 11:32
|
 |
|
Re: Пискаревский лесопарк и его окрестности (ул. Верности, Бутлерова, Карпинского, пр. Непокоренных)
|
 |
|
Re: Пискаревский лесопарк и его окрестности (ул. Верности, Бутлерова, Карпинского, пр. Непокоренных)
От: Slava_M - ср, 07 июля 2010 10:48
|
 |
|
Re: Пискаревский лесопарк и его окрестности (ул. Верности, Бутлерова, Карпинского, пр. Непокоренных)
От: Antti - ср, 07 июля 2010 12:38
|
 |
|
Re: Пискаревский лесопарк и его окрестности (ул. Верности, Бутлерова, Карпинского, пр. Непокоренных)
От: Wally - ср, 07 июля 2010 14:51
|
 |
|
Re: Пискаревский лесопарк и его окрестности (ул. Верности, Бутлерова, Карпинского, пр. Непокоренных)
От: Призрак - чт, 08 июля 2010 20:54
|
 |
|
Re: Пискаревский лесопарк и его окрестности (ул. Верности, Бутлерова, Карпинского, пр. Непокоренных)
|
 |
|
Re: Пискаревский лесопарк и его окрестности (ул. Верности, Бутлерова, Карпинского, пр. Непокоренных)
От: mutabor - чт, 19 августа 2010 11:14
|
 |
|
Re: Пискаревский лесопарк и его окрестности (ул. Верности, Бутлерова, Карпинского, пр. Непокоренных)
От: сергей - пт, 18 июня 2010 13:00
|
 |
|
Re: Пискаревский лесопарк и его окрестности (ул. Верности, Бутлерова, Карпинского, пр. Непокоренных)
|
 |
|
Re: Пискаревский лесопарк и его окрестности (ул. Верности, Бутлерова, Карпинского, пр. Непокоренных)
От: Алекс. - вс, 31 января 2016 18:44
|
 |
|
Re: Пискаревский лесопарк и его окрестности (ул. Верности, Бутлерова, Карпинского, пр. Непокоренных)
От: Буквоед - вс, 31 января 2016 19:18
|
 |
|
Re: Пискаревский лесопарк и его окрестности (ул. Верности, Бутлерова, Карпинского, пр. Непокоренных)
От: vadimvv - вт, 02 февраля 2016 10:39
|
 |
|
Re: Пискаревский лесопарк и его окрестности (ул. Верности, Бутлерова, Карпинского, пр. Непокоренных)
От: сергей - вт, 02 февраля 2016 13:15
|
 |
|
Re: Пискаревский лесопарк и его окрестности (ул. Верности, Бутлерова, Карпинского, пр. Непокоренных)
От: Алекс. - вт, 02 февраля 2016 17:32
|
 |
|
Re: Пискаревский лесопарк и его окрестности (ул. Верности, Бутлерова, Карпинского, пр. Непокоренных)
От: vadimvv - вт, 02 февраля 2016 20:59
|
 |
|
Re: Пискаревский лесопарк и его окрестности (ул. Верности, Бутлерова, Карпинского, пр. Непокоренных)
|
 |
|
Re: Пискаревский лесопарк и его окрестности (ул. Верности, Бутлерова, Карпинского, пр. Непокоренных)
От: baksik - пн, 01 февраля 2016 15:56
|
 |
|
Re: Пискаревский лесопарк и его окрестности (ул. Верности, Бутлерова, Карпинского, пр. Непокоренных)
От: Алекс. - пн, 01 февраля 2016 21:09
|
 |
|
Re: Пискаревский лесопарк и его окрестности (ул. Верности, Бутлерова, Карпинского, пр. Непокоренных)
От: mutabor - чт, 19 августа 2010 17:38
|
 |
|
Re: Пискаревский лесопарк и его окрестности (ул. Верности, Бутлерова, Карпинского, пр. Непокоренных)
От: mutabor - пн, 23 августа 2010 09:24
|
 |
|
Re: Пискаревский лесопарк и его окрестности (ул. Верности, Бутлерова, Карпинского, пр. Непокоренных)
|
 |
|
Re: Пискаревский лесопарк и его окрестности (ул. Верности, Бутлерова, Карпинского, пр. Непокоренных)
От: Бегемот - сб, 19 марта 2011 21:22
|
 |
|
Re: Пискаревский лесопарк и его окрестности (ул. Верности, Бутлерова, Карпинского, пр. Непокоренных)
От: Antti - сб, 19 марта 2011 23:27
|
 |
|
Re: Пискаревский лесопарк и его окрестности (ул. Верности, Бутлерова, Карпинского, пр. Непокоренных)
От: Бегемот - пн, 21 марта 2011 14:24
|
 |
|
Re: Пискаревский лесопарк и его окрестности (ул. Верности, Бутлерова, Карпинского, пр. Непокоренных)
|
 |
|
Re: Пискаревский лесопарк и его окрестности (ул. Верности, Бутлерова, Карпинского, пр. Непокоренных)
От: Dobryi - пн, 21 марта 2011 16:29
|
 |
|
Re: Пискаревский лесопарк и его окрестности (ул. Верности, Бутлерова, Карпинского, пр. Непокоренных)
От: Dobryi - пн, 21 марта 2011 16:31
|
 |
|
Re: Пискаревский лесопарк и его окрестности (ул. Верности, Бутлерова, Карпинского, пр. Непокоренных)
От: Бегемот - вт, 22 марта 2011 10:04
|
 |
|
Re: Пискаревский лесопарк и его окрестности (ул. Верности, Бутлерова, Карпинского, пр. Непокоренных)
От: Бегемот - пт, 25 марта 2011 06:57
|
 |
|
Re: Пискаревский лесопарк и его окрестности (ул. Верности, Бутлерова, Карпинского, пр. Непокоренных)
От: Dobryi - пн, 21 марта 2011 16:36
|
 |
|
Re: Пискаревский лесопарк и его окрестности (ул. Верности, Бутлерова, Карпинского, пр. Непокоренных)
|
 |
|
Re: Пискаревский лесопарк и его окрестности (ул. Верности, Бутлерова, Карпинского, пр. Непокоренных)
От: gromov24 - сб, 27 августа 2011 15:44
|
 |
|
Re: Пискаревский лесопарк и его окрестности (ул. Верности, Бутлерова, Карпинского, пр. Непокоренных)
От: Бегемот - вс, 28 августа 2011 11:01
|
 |
|
Re: Пискаревский лесопарк и его окрестности (ул. Верности, Бутлерова, Карпинского, пр. Непокоренных)
От: kzot - чт, 15 декабря 2011 11:25
|
 |
|
Re: Пискаревский лесопарк и его окрестности (ул. Верности, Бутлерова, Карпинского, пр. Непокоренных)
|
 |
|
Re: Пискаревский лесопарк и его окрестности (ул. Верности, Бутлерова, Карпинского, пр. Непокоренных)
|
 |
|
Re: Пискаревский лесопарк и его окрестности (ул. Верности, Бутлерова, Карпинского, пр. Непокоренных)
|
 |
|
Re: Пискаревский лесопарк и его окрестности (ул. Верности, Бутлерова, Карпинского, пр. Непокоренных)
|
 |
|
Re: Пискаревский лесопарк и его окрестности (ул. Верности, Бутлерова, Карпинского, пр. Непокоренных)
|
 |
|
Re: Пискаревский лесопарк и его окрестности (ул. Верности, Бутлерова, Карпинского, пр. Непокоренных)
От: Basilio - ср, 22 февраля 2012 09:41
|
 |
|
Re: Пискаревский лесопарк и его окрестности (ул. Верности, Бутлерова, Карпинского, пр. Непокоренных)
|
 |
|
Re: Пискаревский лесопарк и его окрестности (ул. Верности, Бутлерова, Карпинского, пр. Непокоренных)
От: Basilio - ср, 22 февраля 2012 10:38
|
 |
|
Re: Пискаревский лесопарк и его окрестности (ул. Верности, Бутлерова, Карпинского, пр. Непокоренных)
|
 |
|
Re: Пискаревский лесопарк и его окрестности (ул. Верности, Бутлерова, Карпинского, пр. Непокоренных)
От: vadimvv - вт, 21 февраля 2012 17:44
|
 |
|
Re: Пискаревский лесопарк и его окрестности (ул. Верности, Бутлерова, Карпинского, пр. Непокоренных)
От: Basilio - вт, 21 февраля 2012 18:02
|
 |
|
Re: Пискаревский лесопарк и его окрестности (ул. Верности, Бутлерова, Карпинского, пр. Непокоренных)
От: vadimvv - вт, 21 февраля 2012 19:11
|
 |
|
Re: Пискаревский лесопарк и его окрестности (ул. Верности, Бутлерова, Карпинского, пр. Непокоренных)
|
 |
|
Re: Пискаревский лесопарк и его окрестности (ул. Верности, Бутлерова, Карпинского, пр. Непокоренных)
|
 |
|
Re: Пискаревский лесопарк и его окрестности (ул. Верности, Бутлерова, Карпинского, пр. Непокоренных)
От: ivmax - сб, 31 марта 2012 02:36
|
 |
|
Re: Пискаревский лесопарк и его окрестности (ул. Верности, Бутлерова, Карпинского, пр. Непокоренных)
От: juliku - сб, 14 апреля 2012 17:22
|
 |
|
Re: Пискаревский лесопарк и его окрестности (ул. Верности, Бутлерова, Карпинского, пр. Непокоренных)
|
 |
|
Re: Пискаревский лесопарк и его окрестности (ул. Верности, Бутлерова, Карпинского, пр. Непокоренных)
От: seawolf - сб, 14 апреля 2012 19:34
|
 |
|
Re: Пискаревский лесопарк и его окрестности (ул. Верности, Бутлерова, Карпинского, пр. Непокоренных)
От: juliku - сб, 14 апреля 2012 19:53
|
 |
|
Re: Пискаревский лесопарк и его окрестности (ул. Верности, Бутлерова, Карпинского, пр. Непокоренных)
От: juliku - вс, 15 апреля 2012 17:57
|
 |
|
Re: Пискаревский лесопарк и его окрестности (ул. Верности, Бутлерова, Карпинского, пр. Непокоренных)
|
 |
|
Re: Пискаревский лесопарк и его окрестности (ул. Верности, Бутлерова, Карпинского, пр. Непокоренных)
От: juliku - вс, 15 апреля 2012 20:06
|
 |
|
Re: Пискаревский лесопарк и его окрестности (ул. Верности, Бутлерова, Карпинского, пр. Непокоренных)
|
 |
|
Re: Пискаревский лесопарк и его окрестности (ул. Верности, Бутлерова, Карпинского, пр. Непокоренных)
От: juliku - вс, 15 апреля 2012 20:59
|
 |
|
Re: Пискаревский лесопарк и его окрестности (ул. Верности, Бутлерова, Карпинского, пр. Непокоренных)
|
 |
|
Re: Пискаревский лесопарк и его окрестности (ул. Верности, Бутлерова, Карпинского, пр. Непокоренных)
От: juliku - пн, 16 апреля 2012 01:01
|
 |
|
Re: Пискаревский лесопарк и его окрестности (ул. Верности, Бутлерова, Карпинского, пр. Непокоренных)
|
 |
|
Re: Пискаревский лесопарк и его окрестности (ул. Верности, Бутлерова, Карпинского, пр. Непокоренных)
|
 |
|
Re: Пискаревский лесопарк и его окрестности (ул. Верности, Бутлерова, Карпинского, пр. Непокоренных)
От: Виктор3 - ср, 30 мая 2012 14:00
|
 |
|
Re: Пискаревский лесопарк и его окрестности (ул. Верности, Бутлерова, Карпинского, пр. Непокоренных)
|
 |
|
Re: Пискаревский лесопарк и его окрестности (ул. Верности, Бутлерова, Карпинского, пр. Непокоренных)
От: Бегемот - сб, 02 февраля 2013 09:13
|
 |
|
Re: Пискаревский лесопарк и его окрестности (ул. Верности, Бутлерова, Карпинского, пр. Непокоренных)
|
 |
|
Re: Пискаревский лесопарк и его окрестности (ул. Верности, Бутлерова, Карпинского, пр. Непокоренных)
|
 |
|
Re: Пискаревский лесопарк и его окрестности (ул. Верности, Бутлерова, Карпинского, пр. Непокоренных)
От: seawolf - вт, 02 апреля 2013 09:37
|
 |
|
Re: Пискаревский лесопарк и его окрестности (ул. Верности, Бутлерова, Карпинского, пр. Непокоренных)
|
 |
|
Re: Пискаревский лесопарк и его окрестности (ул. Верности, Бутлерова, Карпинского, пр. Непокоренных)
|
 |
|
Re: Пискаревский лесопарк и его окрестности (ул. Верности, Бутлерова, Карпинского, пр. Непокоренных)
От: Шуруп - вт, 02 апреля 2013 23:38
|
 |
|
Re: Пискаревский лесопарк и его окрестности (ул. Верности, Бутлерова, Карпинского, пр. Непокоренных)
|
 |
|
Re: Пискаревский лесопарк и его окрестности (ул. Верности, Бутлерова, Карпинского, пр. Непокоренных)
|
 |
|
Re: Пискаревский лесопарк и его окрестности (ул. Верности, Бутлерова, Карпинского, пр. Непокоренных)
От: raevsku - пн, 01 апреля 2013 23:40
|
 |
|
Re: Пискаревский лесопарк и его окрестности (ул. Верности, Бутлерова, Карпинского, пр. Непокоренных)
От: Арина - пт, 19 июля 2013 23:18
|
 |
|
Re: Пискаревский лесопарк и его окрестности (ул. Верности, Бутлерова, Карпинского, пр. Непокоренных)
|
 |
|
Re: Пискаревский лесопарк и его окрестности (ул. Верности, Бутлерова, Карпинского, пр. Непокоренных)
|
 |
|
Re: Пискаревский лесопарк и его окрестности (ул. Верности, Бутлерова, Карпинского, пр. Непокоренных)
От: lastday - вс, 27 октября 2013 03:05
|
 |
|
Re: Пискаревский лесопарк и его окрестности (ул. Верности, Бутлерова, Карпинского, пр. Непокоренных)
От: ilyta - вс, 27 октября 2013 17:14
|
 |
|
Re: Пискаревский лесопарк и его окрестности (ул. Верности, Бутлерова, Карпинского, пр. Непокоренных)
|
 |
|
Re: Пискаревский лесопарк и его окрестности (ул. Верности, Бутлерова, Карпинского, пр. Непокоренных)
От: Алекс. - пт, 26 июля 2013 18:03
|
 |
|
Re: Пискаревский лесопарк и его окрестности (ул. Верности, Бутлерова, Карпинского, пр. Непокоренных)
|
 |
|
Re: Пискаревский лесопарк и его окрестности (ул. Верности, Бутлерова, Карпинского, пр. Непокоренных)
От: Алекс. - пт, 26 июля 2013 19:12
|
 |
|
Re: Пискаревский лесопарк и его окрестности (ул. Верности, Бутлерова, Карпинского, пр. Непокоренных)
|
 |
|
Re: Пискаревский лесопарк и его окрестности (ул. Верности, Бутлерова, Карпинского, пр. Непокоренных)
От: Алекс. - пт, 26 июля 2013 20:06
|
 |
|
Re: Пискаревский лесопарк и его окрестности (ул. Верности, Бутлерова, Карпинского, пр. Непокоренных)
|
 |
|
Re: Пискаревский лесопарк и его окрестности (ул. Верности, Бутлерова, Карпинского, пр. Непокоренных)
От: Алекс. - пт, 26 июля 2013 23:24
|
 |
|
Re: Пискаревский лесопарк и его окрестности (ул. Верности, Бутлерова, Карпинского, пр. Непокоренных)
От: Алекс. - пт, 26 июля 2013 23:27
|
 |
|
Re: Пискаревский лесопарк и его окрестности (ул. Верности, Бутлерова, Карпинского, пр. Непокоренных)
|
 |
|
Re: Пискаревский лесопарк и его окрестности (ул. Верности, Бутлерова, Карпинского, пр. Непокоренных)
От: Алекс. - пт, 26 июля 2013 23:45
|
 |
|
Re: Пискаревский лесопарк и его окрестности (ул. Верности, Бутлерова, Карпинского, пр. Непокоренных)
|
 |
|
Re: Пискаревский лесопарк и его окрестности (ул. Верности, Бутлерова, Карпинского, пр. Непокоренных)
От: Алекс. - сб, 27 июля 2013 00:08
|
 |
|
Re: Пискаревский лесопарк и его окрестности (ул. Верности, Бутлерова, Карпинского, пр. Непокоренных)
|
 |
|
Re: Пискаревский лесопарк и его окрестности (ул. Верности, Бутлерова, Карпинского, пр. Непокоренных)
|
 |
|
Re: Пискаревский лесопарк и его окрестности (ул. Верности, Бутлерова, Карпинского, пр. Непокоренных)
От: Алекс. - сб, 27 июля 2013 14:47
|
 |
|
Re: Пискаревский лесопарк и его окрестности (ул. Верности, Бутлерова, Карпинского, пр. Непокоренных)
От: Алекс. - сб, 27 июля 2013 14:39
|
 |
|
Re: Пискаревский лесопарк и его окрестности (ул. Верности, Бутлерова, Карпинского, пр. Непокоренных)
|
 |
|
Re: Пискаревский лесопарк и его окрестности (ул. Верности, Бутлерова, Карпинского, пр. Непокоренных)
|
 |
|
Re: Пискаревский лесопарк и его окрестности (ул. Верности, Бутлерова, Карпинского, пр. Непокоренных)
От: Алекс. - ср, 25 сентября 2013 16:38
|
 |
|
Re: Пискаревский лесопарк и его окрестности (ул. Верности, Бутлерова, Карпинского, пр. Непокоренных)
|
 |
|
Re: Пискаревский лесопарк и его окрестности (ул. Верности, Бутлерова, Карпинского, пр. Непокоренных)
От: Алекс. - ср, 25 сентября 2013 23:02
|
 |
|
Re: Пискаревский лесопарк и его окрестности (ул. Верности, Бутлерова, Карпинского, пр. Непокоренных)
От: vadimvv - пт, 25 октября 2013 18:08
|
 |
|
Re: Пискаревский лесопарк и его окрестности (ул. Верности, Бутлерова, Карпинского, пр. Непокоренных)
|
 |
|
Re: Пискаревский лесопарк и его окрестности (ул. Верности, Бутлерова, Карпинского, пр. Непокоренных)
|
 |
|
Re: Пискаревский лесопарк и его окрестности (ул. Верности, Бутлерова, Карпинского, пр. Непокоренных)
|
 |
|
Re: Пискаревский лесопарк и его окрестности (ул. Верности, Бутлерова, Карпинского, пр. Непокоренных)
От: Скаут - пт, 25 октября 2013 21:36
|
 |
|
Re: Пискаревский лесопарк и его окрестности (ул. Верности, Бутлерова, Карпинского, пр. Непокоренных)
От: Vlad0001 - чт, 31 октября 2013 15:14
|
 |
|
Re: Пискаревский лесопарк и его окрестности (ул. Верности, Бутлерова, Карпинского, пр. Непокоренных)
От: Алекс. - пт, 25 октября 2013 20:03
|
 |
|
Re: Пискаревский лесопарк и его окрестности (ул. Верности, Бутлерова, Карпинского, пр. Непокоренных)
|
 |
|
Re: Пискаревский лесопарк и его окрестности (ул. Верности, Бутлерова, Карпинского, пр. Непокоренных)
|
 |
|
Re: Пискаревский лесопарк и его окрестности (ул. Верности, Бутлерова, Карпинского, пр. Непокоренных)
От: Буквоед - сб, 26 октября 2013 14:01
|
 |
|
Re: Пискаревский лесопарк и его окрестности (ул. Верности, Бутлерова, Карпинского, пр. Непокоренных)
От: Шуруп - вс, 27 октября 2013 01:22
|
 |
|
Re: Пискаревский лесопарк и его окрестности (ул. Верности, Бутлерова, Карпинского, пр. Непокоренных)
От: Алекс. - вс, 27 октября 2013 22:29
|
 |
|
Re: Пискаревский лесопарк и его окрестности (ул. Верности, Бутлерова, Карпинского, пр. Непокоренных)
|
 |
|
Re: Пискаревский лесопарк и его окрестности (ул. Верности, Бутлерова, Карпинского, пр. Непокоренных)
От: Basilio - пн, 28 октября 2013 09:44
|
 |
|
Re: Пискаревский лесопарк и его окрестности (ул. Верности, Бутлерова, Карпинского, пр. Непокоренных)
|
 |
|
Re: Пискаревский лесопарк и его окрестности (ул. Верности, Бутлерова, Карпинского, пр. Непокоренных)
От: Vlad0001 - чт, 31 октября 2013 15:11
|
 |
|
Re: Пискаревский лесопарк и его окрестности (ул. Верности, Бутлерова, Карпинского, пр. Непокоренных)
От: Алекс. - чт, 31 октября 2013 15:17
|
 |
|
Re: Пискаревский лесопарк и его окрестности (ул. Верности, Бутлерова, Карпинского, пр. Непокоренных)
От: vadimvv - чт, 31 октября 2013 19:55
|
 |
|
Re: Пискаревский лесопарк и его окрестности (ул. Верности, Бутлерова, Карпинского, пр. Непокоренных)
|
 |
|
Re: Пискаревский лесопарк и его окрестности (ул. Верности, Бутлерова, Карпинского, пр. Непокоренных)
|
 |
|
Re: Пискаревский лесопарк и его окрестности (ул. Верности, Бутлерова, Карпинского, пр. Непокоренных)
|
 |
|
Re: Пискаревский лесопарк и его окрестности (ул. Верности, Бутлерова, Карпинского, пр. Непокоренных)
|
 |
|
Re: Пискаревский лесопарк и его окрестности (ул. Верности, Бутлерова, Карпинского, пр. Непокоренных)
|
 |
|
Re: Пискаревский лесопарк и его окрестности (ул. Верности, Бутлерова, Карпинского, пр. Непокоренных)
|
 |
|
Re: Пискаревский лесопарк и его окрестности (ул. Верности, Бутлерова, Карпинского, пр. Непокоренных)
От: Буквоед - вт, 12 ноября 2013 14:53
|
 |
|
Re: Пискаревский лесопарк и его окрестности (ул. Верности, Бутлерова, Карпинского, пр. Непокоренных)
|
 |
|
Re: Пискаревский лесопарк и его окрестности (ул. Верности, Бутлерова, Карпинского, пр. Непокоренных)
От: ulet - вт, 12 ноября 2013 21:01
|
 |
|
Re: Пискаревский лесопарк и его окрестности (ул. Верности, Бутлерова, Карпинского, пр. Непокоренных)
|
 |
|
Re: Пискаревский лесопарк и его окрестности (ул. Верности, Бутлерова, Карпинского, пр. Непокоренных)
|
 |
|
Re: Пискаревский лесопарк и его окрестности (ул. Верности, Бутлерова, Карпинского, пр. Непокоренных)
|
 |
|
Re: Пискаревский лесопарк и его окрестности (ул. Верности, Бутлерова, Карпинского, пр. Непокоренных)
От: Алекс. - чт, 14 ноября 2013 00:35
|
 |
|
Re: Пискаревский лесопарк и его окрестности (ул. Верности, Бутлерова, Карпинского, пр. Непокоренных)
|
 |
|
Re: Пискаревский лесопарк и его окрестности (ул. Верности, Бутлерова, Карпинского, пр. Непокоренных)
|
 |
|
Re: Пискаревский лесопарк и его окрестности (ул. Верности, Бутлерова, Карпинского, пр. Непокоренных)
|
 |
|
Re: Пискаревский лесопарк и его окрестности (ул. Верности, Бутлерова, Карпинского, пр. Непокоренных)
|
 |
|
Re: Пискаревский лесопарк и его окрестности (ул. Верности, Бутлерова, Карпинского, пр. Непокоренных)
От: Murket - пт, 15 ноября 2013 12:34
|
 |
|
Re: Пискаревский лесопарк и его окрестности (ул. Верности, Бутлерова, Карпинского, пр. Непокоренных)
|
 |
|
Re: Пискаревский лесопарк и его окрестности (ул. Верности, Бутлерова, Карпинского, пр. Непокоренных)
|
 |
|
Re: Пискаревский лесопарк и его окрестности (ул. Верности, Бутлерова, Карпинского, пр. Непокоренных)
|
 |
|
Re: Пискаревский лесопарк и его окрестности (ул. Верности, Бутлерова, Карпинского, пр. Непокоренных)
|
 |
|
Re: Пискаревский лесопарк и его окрестности (ул. Верности, Бутлерова, Карпинского, пр. Непокоренных)
|
 |
|
Re: Пискаревский лесопарк и его окрестности (ул. Верности, Бутлерова, Карпинского, пр. Непокоренных)
|
 |
|
Re: Пискаревский лесопарк и его окрестности (ул. Верности, Бутлерова, Карпинского, пр. Непокоренных)
От: Шуруп - сб, 16 ноября 2013 00:35
|
 |
|
Re: Пискаревский лесопарк и его окрестности (ул. Верности, Бутлерова, Карпинского, пр. Непокоренных)
|
 |
|
Re: Пискаревский лесопарк и его окрестности (ул. Верности, Бутлерова, Карпинского, пр. Непокоренных)
От: raevsku - сб, 16 ноября 2013 01:00
|
 |
|
Re: Пискаревский лесопарк и его окрестности (ул. Верности, Бутлерова, Карпинского, пр. Непокоренных)
|
 |
|
Re: Пискаревский лесопарк и его окрестности (ул. Верности, Бутлерова, Карпинского, пр. Непокоренных)
От: raevsku - сб, 16 ноября 2013 01:15
|
 |
|
Re: Пискаревский лесопарк и его окрестности (ул. Верности, Бутлерова, Карпинского, пр. Непокоренных)
|
 |
|
Re: Пискаревский лесопарк и его окрестности (ул. Верности, Бутлерова, Карпинского, пр. Непокоренных)
От: Алекс. - сб, 16 ноября 2013 22:54
|
 |
|
Re: Пискаревский лесопарк и его окрестности (ул. Верности, Бутлерова, Карпинского, пр. Непокоренных)
От: Шуруп - сб, 16 ноября 2013 23:10
|
 |
|
Re: Пискаревский лесопарк и его окрестности (ул. Верности, Бутлерова, Карпинского, пр. Непокоренных)
От: Буквоед - сб, 16 ноября 2013 23:21
|
 |
|
Re: Пискаревский лесопарк и его окрестности (ул. Верности, Бутлерова, Карпинского, пр. Непокоренных)
От: Алекс. - сб, 16 ноября 2013 23:29
|
 |
|
Re: Пискаревский лесопарк и его окрестности (ул. Верности, Бутлерова, Карпинского, пр. Непокоренных)
От: Шуруп - сб, 16 ноября 2013 23:38
|
 |
|
Re: Пискаревский лесопарк и его окрестности (ул. Верности, Бутлерова, Карпинского, пр. Непокоренных)
От: Шуруп - вс, 17 ноября 2013 00:14
|
 |
|
Re: Пискаревский лесопарк и его окрестности (ул. Верности, Бутлерова, Карпинского, пр. Непокоренных)
От: Алекс. - вс, 17 ноября 2013 00:18
|
 |
|
Re: Пискаревский лесопарк и его окрестности (ул. Верности, Бутлерова, Карпинского, пр. Непокоренных)
От: Шуруп - сб, 16 ноября 2013 01:08
|
 |
|
Re: Пискаревский лесопарк и его окрестности (ул. Верности, Бутлерова, Карпинского, пр. Непокоренных)
|
 |
|
Re: Пискаревский лесопарк и его окрестности (ул. Верности, Бутлерова, Карпинского, пр. Непокоренных)
От: Шуруп - сб, 16 ноября 2013 01:33
|
 |
|
Re: Пискаревский лесопарк и его окрестности (ул. Верности, Бутлерова, Карпинского, пр. Непокоренных)
|
 |
|
Re: Пискаревский лесопарк и его окрестности (ул. Верности, Бутлерова, Карпинского, пр. Непокоренных)
От: Шуруп - сб, 16 ноября 2013 11:28
|
 |
|
Re: Пискаревский лесопарк и его окрестности (ул. Верности, Бутлерова, Карпинского, пр. Непокоренных)
От: Шуруп - сб, 16 ноября 2013 13:21
|
 |
|
Re: Пискаревский лесопарк и его окрестности (ул. Верности, Бутлерова, Карпинского, пр. Непокоренных)
От: Шуруп - сб, 16 ноября 2013 13:41
|
 |
|
Re: Пискаревский лесопарк и его окрестности (ул. Верности, Бутлерова, Карпинского, пр. Непокоренных)
|
 |
|
Re: Пискаревский лесопарк и его окрестности (ул. Верности, Бутлерова, Карпинского, пр. Непокоренных)
|
 |
|
Re: Пискаревский лесопарк и его окрестности (ул. Верности, Бутлерова, Карпинского, пр. Непокоренных)
От: сергей - пт, 10 ноября 2017 18:01
|
 |
|
Re: Пискаревский лесопарк и его окрестности (ул. Верности, Бутлерова, Карпинского, пр. Непокоренных)
От: Шуруп - сб, 11 ноября 2017 12:36
|
 |
|
Re: Пискаревский лесопарк и его окрестности (ул. Верности, Бутлерова, Карпинского, пр. Непокоренных)
|
 |
|
Re: Пискаревский лесопарк и его окрестности (ул. Верности, Бутлерова, Карпинского, пр. Непокоренных)
|
 |
|
Re: Пискаревский лесопарк и его окрестности (ул. Верности, Бутлерова, Карпинского, пр. Непокоренных)
От: Алекс. - сб, 16 ноября 2013 22:21
|
 |
|
Re: Пискаревский лесопарк и его окрестности (ул. Верности, Бутлерова, Карпинского, пр. Непокоренных)
От: Алекс. - сб, 16 ноября 2013 22:33
|
 |
|
Re: Пискаревский лесопарк и его окрестности (ул. Верности, Бутлерова, Карпинского, пр. Непокоренных)
|
 |
|
Re: Пискаревский лесопарк и его окрестности (ул. Верности, Бутлерова, Карпинского, пр. Непокоренных)
|
 |
|
Re: Пискаревский лесопарк и его окрестности (ул. Верности, Бутлерова, Карпинского, пр. Непокоренных)
От: Алекс. - вс, 17 ноября 2013 10:20
|
 |
|
Re: Пискаревский лесопарк и его окрестности (ул. Верности, Бутлерова, Карпинского, пр. Непокоренных)
|
 |
|
Re: Пискаревский лесопарк и его окрестности (ул. Верности, Бутлерова, Карпинского, пр. Непокоренных)
|
 |
|
Re: Пискаревский лесопарк и его окрестности (ул. Верности, Бутлерова, Карпинского, пр. Непокоренных)
От: Шуруп - сб, 16 ноября 2013 20:59
|
 |
|
Re: Пискаревский лесопарк и его окрестности (ул. Верности, Бутлерова, Карпинского, пр. Непокоренных)
|
 |
|
Re: Пискаревский лесопарк и его окрестности (ул. Верности, Бутлерова, Карпинского, пр. Непокоренных)
От: Шуруп - сб, 16 ноября 2013 23:02
|
 |
|
Re: Пискаревский лесопарк и его окрестности (ул. Верности, Бутлерова, Карпинского, пр. Непокоренных)
|
 |
|
Re: Пискаревский лесопарк и его окрестности (ул. Верности, Бутлерова, Карпинского, пр. Непокоренных)
|
 |
|
Re: Пискаревский лесопарк и его окрестности (ул. Верности, Бутлерова, Карпинского, пр. Непокоренных)
От: Шуруп - вс, 17 ноября 2013 18:41
|
 |
|
Re: Пискаревский лесопарк и его окрестности (ул. Верности, Бутлерова, Карпинского, пр. Непокоренных)
|
 |
|
Re: Пискаревский лесопарк и его окрестности (ул. Верности, Бутлерова, Карпинского, пр. Непокоренных)
От: Шуруп - вс, 17 ноября 2013 19:30
|
 |
|
Re: Пискаревский лесопарк и его окрестности (ул. Верности, Бутлерова, Карпинского, пр. Непокоренных)
|
 |
|
Re: Пискаревский лесопарк и его окрестности (ул. Верности, Бутлерова, Карпинского, пр. Непокоренных)
|
 |
|
Re: Пискаревский лесопарк и его окрестности (ул. Верности, Бутлерова, Карпинского, пр. Непокоренных)
|
 |
|
Re: Пискаревский лесопарк и его окрестности (ул. Верности, Бутлерова, Карпинского, пр. Непокоренных)
От: raevsku - сб, 16 ноября 2013 13:54
|
 |
|
Re: Пискаревский лесопарк и его окрестности (ул. Верности, Бутлерова, Карпинского, пр. Непокоренных)
От: Алекс. - пн, 18 ноября 2013 00:16
|
 |
|
Re: Пискаревский лесопарк и его окрестности (ул. Верности, Бутлерова, Карпинского, пр. Непокоренных)
От: Шуруп - пн, 18 ноября 2013 00:33
|
 |
|
Re: Пискаревский лесопарк и его окрестности (ул. Верности, Бутлерова, Карпинского, пр. Непокоренных)
|
 |
|
Re: Пискаревский лесопарк и его окрестности (ул. Верности, Бутлерова, Карпинского, пр. Непокоренных)
|
 |
|
Re: Пискаревский лесопарк и его окрестности (ул. Верности, Бутлерова, Карпинского, пр. Непокоренных)
|
 |
|
Re: Пискаревский лесопарк и его окрестности (ул. Верности, Бутлерова, Карпинского, пр. Непокоренных)
|
 |
|
Re: Пискаревский лесопарк и его окрестности (ул. Верности, Бутлерова, Карпинского, пр. Непокоренных)
|
 |
|
Re: Пискаревский лесопарк и его окрестности (ул. Верности, Бутлерова, Карпинского, пр. Непокоренных)
|
 |
|
Re: Пискаревский лесопарк и его окрестности (ул. Верности, Бутлерова, Карпинского, пр. Непокоренных)
|
 |
|
Re: Пискаревский лесопарк и его окрестности (ул. Верности, Бутлерова, Карпинского, пр. Непокоренных)
|
 |
|
Re: Пискаревский лесопарк и его окрестности (ул. Верности, Бутлерова, Карпинского, пр. Непокоренных)
От: Алекс. - вт, 19 ноября 2013 16:12
|
 |
|
Re: Пискаревский лесопарк и его окрестности (ул. Верности, Бутлерова, Карпинского, пр. Непокоренных)
|
 |
|
Re: Пискаревский лесопарк и его окрестности (ул. Верности, Бутлерова, Карпинского, пр. Непокоренных)
|
 |
|
Re: Пискаревский лесопарк и его окрестности (ул. Верности, Бутлерова, Карпинского, пр. Непокоренных)
|
 |
|
Re: Пискаревский лесопарк и его окрестности (ул. Верности, Бутлерова, Карпинского, пр. Непокоренных)
От: Алекс. - вс, 24 ноября 2013 22:50
|
 |
|
Re: Пискаревский лесопарк и его окрестности (ул. Верности, Бутлерова, Карпинского, пр. Непокоренных)
|
 |
|
Re: Пискаревский лесопарк и его окрестности (ул. Верности, Бутлерова, Карпинского, пр. Непокоренных)
От: Алекс. - пн, 25 ноября 2013 00:20
|
 |
|
Re: Пискаревский лесопарк и его окрестности (ул. Верности, Бутлерова, Карпинского, пр. Непокоренных)
От: Буквоед - пн, 25 ноября 2013 00:39
|
 |
|
Re: Пискаревский лесопарк и его окрестности (ул. Верности, Бутлерова, Карпинского, пр. Непокоренных)
От: Алекс. - пн, 25 ноября 2013 00:53
|
 |
|
Re: Пискаревский лесопарк и его окрестности (ул. Верности, Бутлерова, Карпинского, пр. Непокоренных)
От: Буквоед - пн, 25 ноября 2013 01:28
|
 |
|
Re: Пискаревский лесопарк и его окрестности (ул. Верности, Бутлерова, Карпинского, пр. Непокоренных)
|
 |
|
Re: Пискаревский лесопарк и его окрестности (ул. Верности, Бутлерова, Карпинского, пр. Непокоренных)
|
 |
|
Re: Пискаревский лесопарк и его окрестности (ул. Верности, Бутлерова, Карпинского, пр. Непокоренных)
|
 |
|
Re: Пискаревский лесопарк и его окрестности (ул. Верности, Бутлерова, Карпинского, пр. Непокоренных)
От: Алекс. - пн, 25 ноября 2013 09:08
|
 |
|
Re: Пискаревский лесопарк и его окрестности (ул. Верности, Бутлерова, Карпинского, пр. Непокоренных)
От: сергей - пн, 25 ноября 2013 13:09
|
 |
|
Re: Пискаревский лесопарк и его окрестности (ул. Верности, Бутлерова, Карпинского, пр. Непокоренных)
|
 |
|
Re: Пискаревский лесопарк и его окрестности (ул. Верности, Бутлерова, Карпинского, пр. Непокоренных)
|
 |
|
Re: Пискаревский лесопарк и его окрестности (ул. Верности, Бутлерова, Карпинского, пр. Непокоренных)
От: Алекс. - пн, 25 ноября 2013 13:49
|
 |
|
Re: Пискаревский лесопарк и его окрестности (ул. Верности, Бутлерова, Карпинского, пр. Непокоренных)
|
 |
|
Re: Пискаревский лесопарк и его окрестности (ул. Верности, Бутлерова, Карпинского, пр. Непокоренных)
От: Алекс. - пн, 25 ноября 2013 22:36
|
 |
|
Re: Пискаревский лесопарк и его окрестности (ул. Верности, Бутлерова, Карпинского, пр. Непокоренных)
|
 |
|
Re: Пискаревский лесопарк и его окрестности (ул. Верности, Бутлерова, Карпинского, пр. Непокоренных)
От: seawolf - пн, 25 ноября 2013 23:18
|
 |
|
Re: Пискаревский лесопарк и его окрестности (ул. Верности, Бутлерова, Карпинского, пр. Непокоренных)
От: Шуруп - вт, 26 ноября 2013 00:28
|
 |
|
Re: Пискаревский лесопарк и его окрестности (ул. Верности, Бутлерова, Карпинского, пр. Непокоренных)
От: Алекс. - вт, 26 ноября 2013 00:38
|
 |
|
Re: Пискаревский лесопарк и его окрестности (ул. Верности, Бутлерова, Карпинского, пр. Непокоренных)
|
 |
|
Re: Пискаревский лесопарк и его окрестности (ул. Верности, Бутлерова, Карпинского, пр. Непокоренных)
|
 |
|
Re: Пискаревский лесопарк и его окрестности (ул. Верности, Бутлерова, Карпинского, пр. Непокоренных)
|
 |
|
Re: Пискаревский лесопарк и его окрестности (ул. Верности, Бутлерова, Карпинского, пр. Непокоренных)
|
 |
|
Re: Пискаревский лесопарк и его окрестности (ул. Верности, Бутлерова, Карпинского, пр. Непокоренных)
От: Буквоед - вт, 26 ноября 2013 14:52
|
 |
|
Re: Пискаревский лесопарк и его окрестности (ул. Верности, Бутлерова, Карпинского, пр. Непокоренных)
|
 |
|
Re: Пискаревский лесопарк и его окрестности (ул. Верности, Бутлерова, Карпинского, пр. Непокоренных)
От: Буквоед - вт, 26 ноября 2013 15:30
|
 |
|
Re: Пискаревский лесопарк и его окрестности (ул. Верности, Бутлерова, Карпинского, пр. Непокоренных)
|
 |
|
Re: Пискаревский лесопарк и его окрестности (ул. Верности, Бутлерова, Карпинского, пр. Непокоренных)
От: Буквоед - вт, 26 ноября 2013 18:23
|
 |
|
Re: Пискаревский лесопарк и его окрестности (ул. Верности, Бутлерова, Карпинского, пр. Непокоренных)
|
 |
|
Re: Пискаревский лесопарк и его окрестности (ул. Верности, Бутлерова, Карпинского, пр. Непокоренных)
От: Буквоед - вт, 26 ноября 2013 22:35
|
 |
|
Re: Пискаревский лесопарк и его окрестности (ул. Верности, Бутлерова, Карпинского, пр. Непокоренных)
От: raevsku - ср, 25 декабря 2013 22:32
|
 |
|
Re: Пискаревский лесопарк и его окрестности (ул. Верности, Бутлерова, Карпинского, пр. Непокоренных)
|
 |
|
Re: Пискаревский лесопарк и его окрестности (ул. Верности, Бутлерова, Карпинского, пр. Непокоренных)
От: Алекс. - вт, 26 ноября 2013 17:16
|
 |
|
Re: Пискаревский лесопарк и его окрестности (ул. Верности, Бутлерова, Карпинского, пр. Непокоренных)
|
 |
|
Re: Пискаревский лесопарк и его окрестности (ул. Верности, Бутлерова, Карпинского, пр. Непокоренных)
|
 |
|
Снос ЛЭП вдоль ул. Бутлерова и Пискаревского парка
От: Antti - пт, 07 февраля 2014 20:50
|
 |
|
Re: Снос ЛЭП вдоль ул. Бутлерова и Пискаревского парка
|
 |
|
Re: Снос ЛЭП вдоль ул. Бутлерова и Пискаревского парка
От: Antti - пн, 10 февраля 2014 23:21
|
 |
|
Re: Снос ЛЭП вдоль ул. Бутлерова и Пискаревского парка
|
 |
|
Re: Снос ЛЭП вдоль ул. Бутлерова и Пискаревского парка
От: Antti - вт, 11 февраля 2014 21:43
|
 |
|
Re: Снос ЛЭП вдоль ул. Бутлерова и Пискаревского парка
От: Antti - вт, 11 февраля 2014 21:45
|
 |
|
Re: Снос ЛЭП вдоль ул. Бутлерова и Пискаревского парка
От: Antti - вт, 11 февраля 2014 21:48
|
 |
|
Re: Снос ЛЭП вдоль ул. Бутлерова и Пискаревского парка
|
 |
|
Re: Пискаревский лесопарк и его окрестности (ул. Верности, Бутлерова, Карпинского, пр. Непокоренных)
От: raevsku - вс, 09 февраля 2014 22:56
|
 |
|
Re: Пискаревский лесопарк и его окрестности (ул. Верности, Бутлерова, Карпинского, пр. Непокоренных)
От: Vlad0001 - пн, 10 февраля 2014 11:06
|
 |
|
Re: Пискаревский лесопарк и его окрестности (ул. Верности, Бутлерова, Карпинского, пр. Непокоренных)
От: Tonick - пн, 17 февраля 2014 20:05
|
 |
|
Re: Пискаревский лесопарк и его окрестности (ул. Верности, Бутлерова, Карпинского, пр. Непокоренных)
|
 |
|
Re: Пискаревский лесопарк и его окрестности (ул. Верности, Бутлерова, Карпинского, пр. Непокоренных)
От: Tonick - ср, 19 февраля 2014 00:19
|
 |
|
Re: Пискаревский лесопарк и его окрестности (ул. Верности, Бутлерова, Карпинского, пр. Непокоренных)
|
 |
|
Re: Пискаревский лесопарк и его окрестности (ул. Верности, Бутлерова, Карпинского, пр. Непокоренных)
От: LionelRK - ср, 19 февраля 2014 15:06
|
 |
|
Re: Пискаревский лесопарк и его окрестности (ул. Верности, Бутлерова, Карпинского, пр. Непокоренных)
От: Okko - ср, 26 февраля 2014 16:46
|
 |
|
Re: Пискаревский лесопарк и его окрестности (ул. Верности, Бутлерова, Карпинского, пр. Непокоренных)
От: Буквоед - ср, 26 февраля 2014 16:50
|
 |
|
Re: Пискаревский лесопарк и его окрестности (ул. Верности, Бутлерова, Карпинского, пр. Непокоренных)
|
 |
|
Re: Пискаревский лесопарк и его окрестности (ул. Верности, Бутлерова, Карпинского, пр. Непокоренных)
|
 |
|
Re: Пискаревский лесопарк и его окрестности (ул. Верности, Бутлерова, Карпинского, пр. Непокоренных)
От: Okko - ср, 26 февраля 2014 21:04
|
 |
|
Re: Пискаревский лесопарк и его окрестности (ул. Верности, Бутлерова, Карпинского, пр. Непокоренных)
От: Алекс. - ср, 12 марта 2014 13:58
|
 |
|
Re: Пискаревский лесопарк и его окрестности (ул. Верности, Бутлерова, Карпинского, пр. Непокоренных)
|
 |
|
Re: Пискаревский лесопарк и его окрестности (ул. Верности, Бутлерова, Карпинского, пр. Непокоренных)
От: Алекс. - чт, 13 марта 2014 19:22
|
 |
|
Re: Пискаревский лесопарк и его окрестности (ул. Верности, Бутлерова, Карпинского, пр. Непокоренных)
От: Алекс. - чт, 13 марта 2014 19:54
|
 |
|
Re: Пискаревский лесопарк и его окрестности (ул. Верности, Бутлерова, Карпинского, пр. Непокоренных)
От: Алекс. - ср, 19 марта 2014 11:23
|
 |
|
Re: Пискаревский лесопарк и его окрестности (ул. Верности, Бутлерова, Карпинского, пр. Непокоренных)
От: Алекс. - пт, 21 марта 2014 21:11
|
 |
|
Re: Пискаревский лесопарк и его окрестности (ул. Верности, Бутлерова, Карпинского, пр. Непокоренных)
|
 |
|
Re: Пискаревский лесопарк и его окрестности (ул. Верности, Бутлерова, Карпинского, пр. Непокоренных)
От: сергей - чт, 17 апреля 2014 10:05
|
 |
|
Re: Пискаревский лесопарк и его окрестности (ул. Верности, Бутлерова, Карпинского, пр. Непокоренных)
От: Алекс. - чт, 17 апреля 2014 11:40
|
 |
|
Re: Пискаревский лесопарк и его окрестности (ул. Верности, Бутлерова, Карпинского, пр. Непокоренных)
|
 |
|
Re: Пискаревский лесопарк и его окрестности (ул. Верности, Бутлерова, Карпинского, пр. Непокоренных)
От: Алекс. - чт, 17 апреля 2014 23:03
|
 |
|
Re: Пискаревский лесопарк и его окрестности (ул. Верности, Бутлерова, Карпинского, пр. Непокоренных)
От: Antti - ср, 21 января 2015 19:50
|
 |
|
Re: Пискаревский лесопарк и его окрестности (ул. Верности, Бутлерова, Карпинского, пр. Непокоренных)
От: Алекс. - ср, 21 января 2015 20:13
|
 |
|
Re: Пискаревский лесопарк и его окрестности (ул. Верности, Бутлерова, Карпинского, пр. Непокоренных)
От: Natalie - пн, 20 апреля 2015 13:54
|
 |
|
Re: Пискаревский лесопарк и его окрестности (ул. Верности, Бутлерова, Карпинского, пр. Непокоренных)
От: Slava_M - чт, 04 февраля 2016 01:02
|
 |
|
Re: Пискаревский лесопарк и его окрестности (ул. Верности, Бутлерова, Карпинского, пр. Непокоренных)
От: Алекс. - пт, 05 февраля 2016 13:06
|
 |
|
Re: Пискаревский лесопарк и его окрестности (ул. Верности, Бутлерова, Карпинского, пр. Непокоренных)
От: vadimvv - пт, 05 февраля 2016 17:35
|
 |
|
Re: Пискаревский лесопарк и его окрестности (ул. Верности, Бутлерова, Карпинского, пр. Непокоренных)
От: Алекс. - вс, 03 июля 2016 08:29
|
 |
|
Re: Пискаревский лесопарк и его окрестности (ул. Верности, Бутлерова, Карпинского, пр. Непокоренных)
От: Natalie - вс, 03 июля 2016 20:43
|
 |
|
Re: Пискаревский лесопарк и его окрестности (ул. Верности, Бутлерова, Карпинского, пр. Непокоренных)
От: Алекс. - вс, 03 июля 2016 22:25
|
 |
|
Re: Пискаревский лесопарк и его окрестности (ул. Верности, Бутлерова, Карпинского, пр. Непокоренных)
От: Алекс. - вс, 10 июля 2016 18:02
|
 |
|
Re: Пискаревский лесопарк и его окрестности (ул. Верности, Бутлерова, Карпинского, пр. Непокоренных)
|
 |
|
Re: Пискаревский лесопарк и его окрестности (ул. Верности, Бутлерова, Карпинского, пр. Непокоренных)
От: Алекс. - пн, 11 июля 2016 22:13
|
 |
|
Re: Пискаревский лесопарк и его окрестности (ул. Верности, Бутлерова, Карпинского, пр. Непокоренных)
|
 |
|
Re: Пискаревский лесопарк и его окрестности (ул. Верности, Бутлерова, Карпинского, пр. Непокоренных)
|
 |
|
Re: Пискаревский лесопарк и его окрестности (ул. Верности, Бутлерова, Карпинского, пр. Непокоренных)
От: Буквоед - пт, 01 декабря 2017 10:03
|
Переход к форуму:
Текущее время: сб дек #d 06:21:44 MSK 2024
|