ОКРЕСТНОСТИ ПЕТЕРБУРГАПутеводители Карты Краеведение Военная история Фотогалерея    Старый сайт
Начало » ГЛАВНЫЙ » Военно-исторический раздел » Блокадные фото военкора М.Пригожина
Re: Блокадные фото военкора М.Пригожина [сообщение #197030 является ответом на сообщение #197027] пн, 11 февраля 2019 19:59 Переход к предыдущему сообщенияПереход к предыдущему сообщения
Alessandro
LionelRK писал(а) пн, 11 февраля 2019 19:49
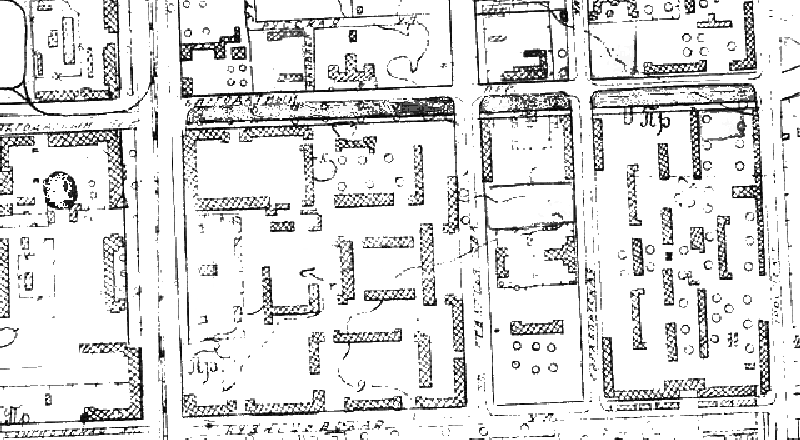
судя по планам ГРИИ двухэтажный дом по Жукова стоял на месте дома Яковлевский 6


А можно Вас попросить выложить сюда этот фрагмент планов ГРИИ?

Вот ситуация, близкая к довоенной (из "подложки" к послевоенному Генплану):




[Обновления: пн, 11 февраля 2019 20:13]

Известить модератора

 
Сообщение не прочитано
Сообщение не прочитано
Сообщение не прочитано
Сообщение не прочитано
Сообщение не прочитано
Сообщение не прочитано
Сообщение не прочитано
Сообщение не прочитано
Сообщение не прочитано
Сообщение не прочитано
Сообщение не прочитано
Сообщение не прочитано
Сообщение не прочитано
Сообщение не прочитано
Сообщение не прочитано
Сообщение не прочитано
Сообщение не прочитано
Сообщение не прочитано
Сообщение не прочитано
Сообщение не прочитано
Сообщение не прочитано
Сообщение не прочитано
Сообщение не прочитано
Сообщение не прочитано
Сообщение не прочитано
Сообщение не прочитано
Сообщение не прочитано
Сообщение не прочитано
Сообщение не прочитано
Сообщение не прочитано
Сообщение не прочитано
Сообщение не прочитано
Сообщение не прочитано
Сообщение не прочитано
Сообщение не прочитано
Сообщение не прочитано
Сообщение не прочитано
Сообщение не прочитано
Сообщение не прочитано
Сообщение не прочитано
Сообщение не прочитано
Сообщение не прочитано
Сообщение не прочитано
Сообщение не прочитано
Сообщение не прочитано
Сообщение не прочитано
Сообщение не прочитано
Сообщение не прочитано
Сообщение не прочитано
Сообщение не прочитано
Сообщение не прочитано
Сообщение не прочитано
Сообщение не прочитано
Сообщение не прочитано
Сообщение не прочитано
Сообщение не прочитано
Сообщение не прочитано
Предыдущая тема: , какой день 18 января 1943 года или 27 января 1944 года стал определяющим в блокаде Ленинграда
Следующая тема: Броневик
Переход к форуму:
  


Текущее время: пн дек #d 11:07:39 MSK 2024