| Re: Подборка фотографий. Майкл Нойберт в Ленинграде. 1976-1977 гг. [сообщение #180690 является ответом на сообщение #180682] |
ср, 20 января 2016 21:28   |
|
|
Леонид Харитонов писал(а) ср, 20 января 2016 14:52Схемы - сами по себе, реальность - сама по себе. Просто я хорошо помню, где стоял этот знак на Московском шоссе в конце 1970-х - 1980-е годы:
http://wikimapia.org/#lang=ru&lat=59.809926&lon=30.3 84171&z=17&m=b
Воспоминания сами по себе, реальность - сама по себе.
Вот тут поднимали аналогичную тему: http://spb-projects.ru/forum/viewtopic.php?t=1121
Цитата:При въезде в Питер по Моск.шоссе, сразу после Шушар - перед валом "окружной" ж/д насыпи,
с левой стороны стояла стелла ЛЕНИНГРАД где-то до середины 90-х...
на геосъемке начала 90х:
Пулковское шоссе

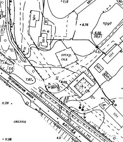
Петрозаводское шоссе (знак слева)

Петергофское шоссе (площадки с стелой не нашел)
Приморское шоссе

Выборгское шоссе

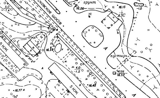
Московское шоссе

Гатчинское шоссе (слева?)

Кингисеппское шоссе

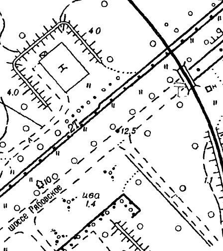
Рябовское шоссе
-
Вложение: Снимок.JPG
(Размер: 70.80KB, Загружено 2407 раз)
-
Вложение: Снимок.JPG
(Размер: 68.45KB, Загружено 2383 раза)
-
Вложение: Снимок.JPG
(Размер: 49.04KB, Загружено 2471 раз)
-
Вложение: Снимок.JPG
(Размер: 70.37KB, Загружено 2447 раз)
-
Вложение: Снимок.JPG
(Размер: 43.32KB, Загружено 2449 раз)
-
Вложение: Снимок.JPG
(Размер: 60.61KB, Загружено 2354 раза)
-
Вложение: Снимок.JPG
(Размер: 82.34KB, Загружено 2485 раз)
-
Вложение: Снимок.JPG
(Размер: 65.19KB, Загружено 2472 раза)
-
Вложение: Снимок.JPG
(Размер: 65.23KB, Загружено 2479 раз)
|
|
|
|