ОКРЕСТНОСТИ ПЕТЕРБУРГАПутеводители Карты Краеведение Военная история Фотогалерея    Старый сайт
Начало » Санкт-Петербург » Топонимика » Проезд в квартале Ульянка-6
Re: Проезд в квартале Ульянка-6 [сообщение #137449 является ответом на сообщение #133355] чт, 18 октября 2012 18:01 Переход к предыдущему сообщенияПереход к предыдущему сообщения
Lashner
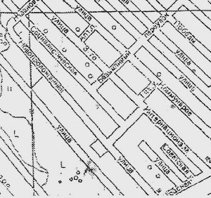
Новопроложенная улица в Дачном на фрагменте плана Ленинграда и окрестностей 1955 г. (из книги: Н.Н. Гольцов. "История ОРАНЭЛЫ - Стрельнинской трамвайной линии" (CПб, 2006)):

[Обновления: чт, 18 октября 2012 18:02]

Известить модератора

 
Сообщение не прочитано
Сообщение не прочитано
Сообщение не прочитано
Сообщение не прочитано
Сообщение не прочитано
Сообщение не прочитано
Сообщение не прочитано
Сообщение не прочитано
Сообщение не прочитано
Сообщение не прочитано
Сообщение не прочитано
Сообщение не прочитано
Сообщение не прочитано
Сообщение не прочитано
Сообщение не прочитано
Сообщение не прочитано
Сообщение не прочитано
Сообщение не прочитано
Предыдущая тема: Рекомендации ТК, октябрь 2015
Следующая тема: Топонимические реалии Выборга
Переход к форуму:
  


Текущее время: пн дек #d 06:27:30 MSK 2024