Начало » ГЛАВНЫЙ » Вопросы » Подземные реки Санкт-Петербурга 
	| 
		
 |  
	| 
		
 |  
	| 
		
 |  
	
		
		
			| Re: Подземные реки Санкт-Петербурга [сообщение #204483 является ответом на сообщение #204481] | 
			сб, 01 мая 2021 22:33    | 
		 
		
			| 
				
	 | 
 
	
		Шуруп писал(а) сб, 01 мая 2021 21:10alexsvar писал(а) сб, 01 мая 2021 14:24 
 
Того, что было в указанном ранее промежутке.  
  
 
Ничего не понял, если честно. 
  
 
Засыпаны были речки-речушки и ручьи, еще до исторического материализма, так что даже в современных специальных изданиях о них нет ни слова. Габуза, например. О ней еще напишу. В саду им.Бабушкина остатки древнего русла. Щемиловка - тож ручей. Ручей на Куракиной даче. 
		
		
		
 |  
	| 
		
	 | 
 
 
 |  
	| 
		
 |  
	| 
		
 |  
	
		
		
			| Re: Подземные реки Санкт-Петербурга [сообщение #204521 является ответом на сообщение #204483] | 
			ср, 05 мая 2021 12:14    | 
		 
		
			| 
				
	 | 
 
	
		alexsvar писал(а) сб, 01 мая 2021 19:33Ручей на Куракиной даче.   
Так, на предыдущей странице этой темы говорят, что Козлов ручей aka ручей на Куракиной даче имеет какой-то выход/слив в Неву - я, правда, там на набережной никаких отверстий не помню, но всё может быть. И, кстати, это означает, что в прудо=ручье до сих пор есть какой-то движение воды - раз требуется слив. Значит, где-то есть источник этой воды. Значит, это так себе пруд-ручей. 
 
Собственно, хорошо бы этой теме собрать все известные коллекторы, водосливы и подземные трубы, имеющие отношение к засыпанным, отведённым или застроенным речушкам. Кстати, по этой причине я назвал тему "подземные реки" в надежде, что список продолжится.
		
		
		
 |  
	| 
		
	 | 
 
 
 |  
	
		
		
			| Re: Подземные реки Санкт-Петербурга [сообщение #204543 является ответом на сообщение #204521] | 
			ср, 05 мая 2021 22:36    | 
		 
		
			| 
				
	 | 
 
	
		Carolus Magnus писал(а) ср, 05 мая 2021 12:14alexsvar писал(а) сб, 01 мая 2021 19:33Ручей на Куракиной даче.   
Так, на предыдущей странице этой темы говорят, что Козлов ручей aka ручей на Куракиной даче имеет какой-то выход/слив в Неву - я, правда, там на набережной никаких отверстий не помню, но всё может быть. И, кстати, это означает, что в прудо=ручье до сих пор есть какой-то движение воды - раз требуется слив. Значит, где-то есть источник этой воды. Значит, это так себе пруд-ручей. 
 
Собственно, хорошо бы этой теме собрать все известные коллекторы, водосливы и подземные трубы, имеющие отношение к засыпанным, отведённым или застроенным речушкам. Кстати, по этой причине я назвал тему "подземные реки" в надежде, что список продолжится.  
 
"Козлов ручей" 
 
  
 
		
	- 
	
 
	Вложение: Снимок.JPG
	 
	(Размер: 85.50KB, Загружено 1261 раз)
 
 
		
		
 |  
	| 
		
	 | 
 
 
 |  
	
		
		
			| Re: Подземные реки Санкт-Петербурга [сообщение #204763 является ответом на сообщение #204543] | 
			чт, 17 июня 2021 15:23    | 
		 
		
			| 
				
	 | 
 
	
		Для тех, кто не знал: 
с 2020 г. СПб ГКУ «Ленводхоз» помещает новости о своей деятельности здесь: 
http://lenvodhoz.ru/news/       
https://vk.com/lenvodhoz 
 
В июне 2021 г. начались работы на водоперепускном канале реки Лапки в Ржевском лесопарке. 
Водоперепускной канал относится к СПб ГКУ «Ленводхоз», но ордера на сайте ГАТИ почему-то нет. 
Водоперепускной канал реки Лапки находится в плохом состоянии, может параллельно старому каналу выкопают новый ? 
 
  
  
  
  
  
		
	- 
	
 
	Вложение: SAM_5962.JPG
	 
	(Размер: 196.42KB, Загружено 1065 раз)
 - 
	
 
	Вложение: SAM_5963.JPG
	 
	(Размер: 198.30KB, Загружено 1067 раз)
 - 
	
 
	Вложение: SAM_5964.JPG
	 
	(Размер: 202.16KB, Загружено 1096 раз)
 - 
	
 
	Вложение: SAM_5965.JPG
	 
	(Размер: 191.16KB, Загружено 1052 раза)
 - 
	
 
	Вложение: SAM_5966.JPG
	 
	(Размер: 187.93KB, Загружено 1042 раза)
 
 
		
		[Обновления: чт, 17 июня 2021 15:58] Известить модератора  
 |  
	| 
		
	 | 
 
 
 |  
	| 
		
 |  
	
		
		
			| Re: Подземные реки Санкт-Петербурга [сообщение #204775 является ответом на сообщение #204399] | 
			вт, 22 июня 2021 17:46    | 
		 
		
			| 
				
	 | 
 
	
		Наткнулся на объяснение протечек на "Дунайской", станции метро. Якобы строители задели старое русло реки Волковки, а оттуда на станцию грунтовые воды проникли, и вот теперь мочат всех :) 
 
Насколько в этом правды? Что они там могли найти, если речка благополучно стекает по Волковскому каналу? Водоносный слой у нас и без речек и их старых русел везде имеется, оно и так понятно.
		
		
		
 |  
	| 
		
	 | 
 
 
 |  
	| 
		
 |  
	| 
		
 |  
	| 
		
 |  
	
		
		
			| Re: Подземные реки Санкт-Петербурга [сообщение #205090 является ответом на сообщение #204543] | 
			пт, 20 августа 2021 13:12    | 
		 
		
			| 
				
	 | 
 
	
		alexsvar писал(а) ср, 05 мая 2021 19:36 
"Козлов ручей" 
 
  
 
  
А можно попросить такую же карточку на Волковский пруд в парке Интернационалистов? Откуда-то в нём вода должна быть? А откуда,  если считать, что "большой купчинский изгиб" высох сам по себе из-за отвода основного течения Волковки в Волковский канал?! И ещё какая-то канава (из?) (в?) в юго-восточной оконечности пруда есть, другой конец которой скрывается в какой-то канализации у дома 51 к. 1 по Южному шоссе. Без схемы с подземными источниками наполнение пруда непонятно.
		
		
		[Обновления: пт, 20 августа 2021 13:12] Известить модератора  
 |  
	| 
		
	 | 
 
 
 |  
	
		
		
			| Re: Подземные реки Санкт-Петербурга [сообщение #205093 является ответом на сообщение #205090] | 
			пт, 20 августа 2021 15:39    | 
		 
		
			| 
				
	 | 
 
	
		Carolus Magnus писал(а) пт, 20 августа 2021 13:12 
А можно попросить такую же карточку на Волковский пруд в парке Интернационалистов? Откуда-то в нём вода должна быть? А откуда,  если считать, что "большой купчинский изгиб" высох сам по себе из-за отвода основного течения Волковки в Волковский канал?! И ещё какая-то канава (из?) (в?) в юго-восточной оконечности пруда есть, другой конец которой скрывается в какой-то канализации у дома 51 к. 1 по Южному шоссе. Без схемы с подземными источниками наполнение пруда непонятно.
  
 
На торрентах все это добро давно лежит 
 
 
		
	- 
	
 
	Вложение: Снимок.JPG
	 
	(Размер: 238.99KB, Загружено 771 раз)
 
 
		
		
 |  
	| 
		
	 | 
 
 
 |  
	
		
		
			| Re: Подземные реки Санкт-Петербурга [сообщение #206174 является ответом на сообщение #204399] | 
			вт, 15 февраля 2022 11:39    | 
		 
		
			| 
				
	 | 
 
	
		Есть ли схема на подземный дренаж для Пушкина? Имеется ли сейчас водосток между Большим прудом и Каскадными прудами, каскадными прудами между собой - друг с другом и далее с Колонистским прудом (такой коллектор почти наверняка существовал примерно 120 лет назад), и, наконец, между плотиной Колонистского пруда и нынешним истоком ручья Вангази? Искусственность истока на спутниковых прямо бросается в глаза, но я не смог дойти до туда - слишком местные собачки неприветливые оказались :) 
 
По Москве на OSM все подземные коллекторы давно указаны, а у нас даже есть точно есть, не показаны.
		
		
		
 |  
	| 
		
	 | 
 
 
 |  
	
		
		
			| Re: Подземные реки Санкт-Петербурга [сообщение #206704 является ответом на сообщение #204399] | 
			сб, 06 августа 2022 16:02    | 
		 
		
			| 
				
	 | 
 
	
		Может кто-нибудь компетентно подсказать - Введенский (Витебский) канал, действительно, полностью засыпан/забетонирован или всё-таки заключён в коллектор полностью или частично? 
 
Потому что он в Государственном водном реестре есть. И был. Ещё в 2011 году мапперы OpenStreetMap жаловались на это на своём форуме. Основой для базы реестра послужил Государственный водный кадастр, созданный в лихие 90-е на основании разрозненных данных советского времени (полноценного аналога ГВР/ГВК в СССР не было, поскольку не было частной собственности и публичной собственности административных территорий). 
 
Но неужели реликт? Ведь всё-таки давно его нет. Более поздние утраты, например, отсутствуют. Или всё-таки под асфальтом что-то есть такое, что "власти скрывают"? В ГВР, например, есть Неглинная в Москве, ну так она и в реальности там есть, чуть ли самый известный подземный объект, известнее Неглинной только Метро-2, а туда диггеров не пускают. Я человек мирный, но и то коллекторы Неглинной знаю :)
		
		
		[Обновления: сб, 06 августа 2022 16:06] Известить модератора  
 |  
	| 
		
	 | 
 
 
 |  
	
		
		
			| Re: Подземные реки Санкт-Петербурга [сообщение #206708 является ответом на сообщение #206704] | 
			сб, 06 августа 2022 18:49    | 
		 
		
			| 
				
	 | 
 
	
		Carolus Magnus писал(а) сб, 06 августа 2022 16:02Может кто-нибудь компетентно подсказать - Введенский (Витебский) канал, действительно, полностью засыпан/забетонирован или всё-таки заключён в коллектор полностью или частично? 
 
Потому что он в Государственном водном реестре есть. И был. Ещё в 2011 году мапперы OpenStreetMap жаловались на это на своём форуме. Основой для базы реестра послужил Государственный водный кадастр, созданный в лихие 90-е на основании разрозненных данных советского времени (полноценного аналога ГВР/ГВК в СССР не было, поскольку не было частной собственности и публичной собственности административных территорий). 
 
Но неужели реликт? Ведь всё-таки давно его нет. Более поздние утраты, например, отсутствуют. Или всё-таки под асфальтом что-то есть такое, что "власти скрывают"? В ГВР, например, есть Неглинная в Москве, ну так она и в реальности там есть, чуть ли самый известный подземный объект, известнее Неглинной только Метро-2, а туда диггеров не пускают. Я человек мирный, но и то коллекторы Неглинной знаю    
 
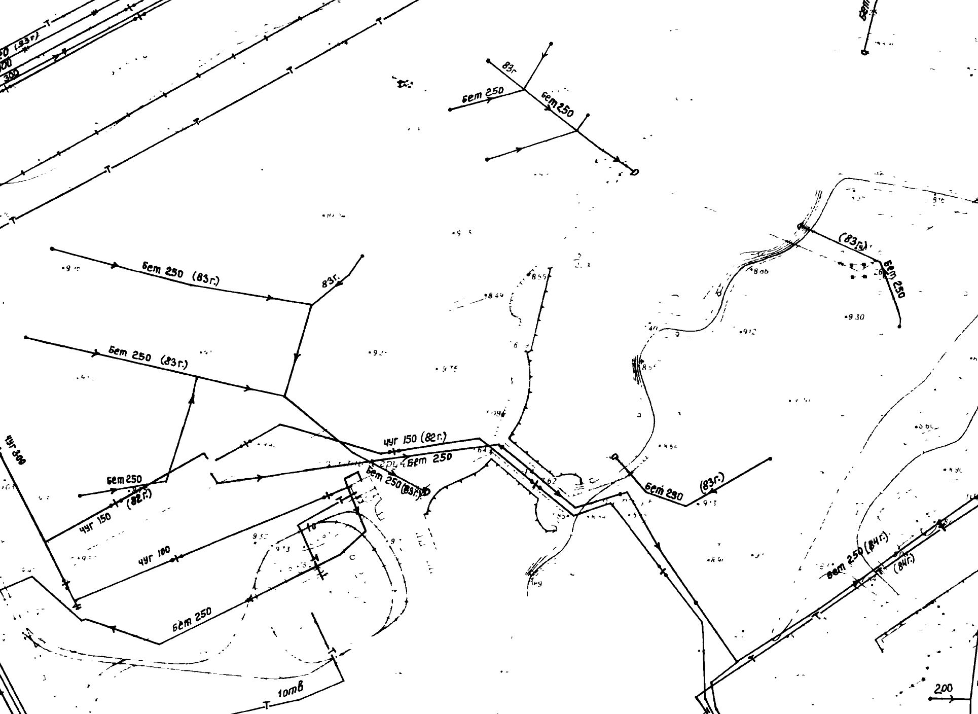
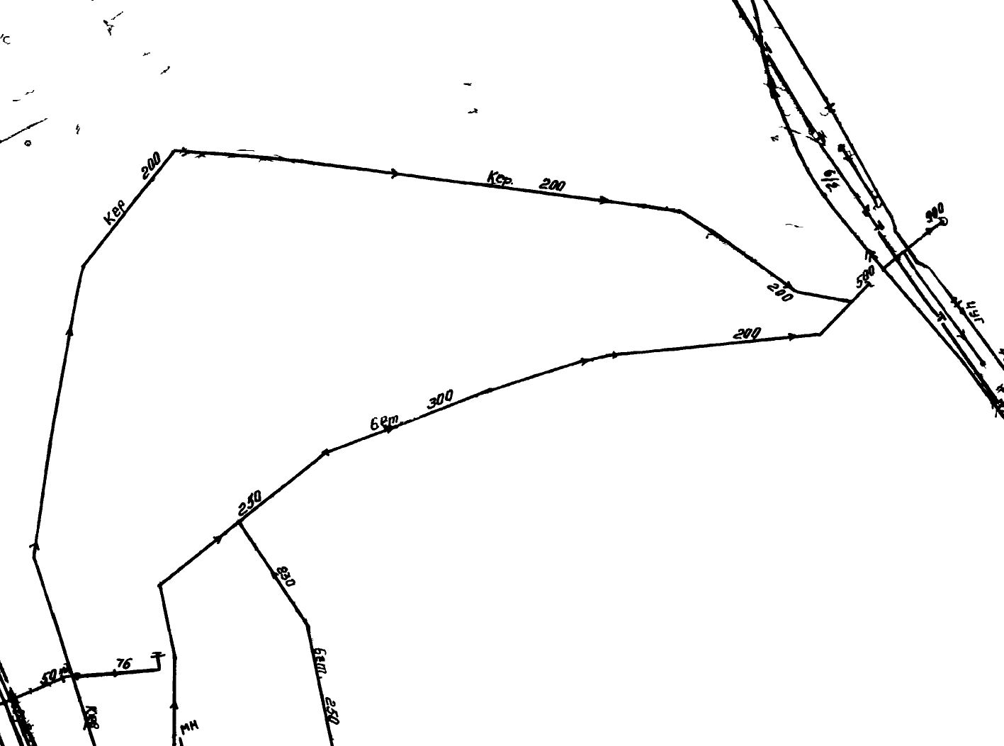
На рутрекере есть две раздачи геодезических планшетов СПб. Одна - 90-х годов, вторая свежее. В ней есть не только геодезия, но и кадастр и подземные коммуникации: трубы и кабели.
		
		
		
 |  
	| 
		
	 | 
 
 
 |  
	
		
		
			| Re: Подземные реки Санкт-Петербурга [сообщение #206713 является ответом на сообщение #206708] | 
			сб, 06 августа 2022 22:28    | 
		 
		
			| 
				
	 | 
 
	
		alexsvar писал(а) сб, 06 августа 2022 15:49На рутрекере есть две раздачи геодезических планшетов СПб. Одна - 90-х годов, вторая свежее. В ней есть не только геодезия, но и кадастр и подземные коммуникации: трубы и кабели.  
Да, я посмотрел в план с канализацией, но мало чего понял. Во-всяком случае выходов из неё на набередную с не вижу ни в плане, ни на местности. Но вообще план иметь мало - надо ещё уметь его читать. 
 
ЗЫ Я так понимаю, что раздачи на рутрекере в части совпадающих файлов тождественны?
		
		
		
 |  
	| 
		
	 | 
 
 
 |   
Переход к форуму:
 
  
 Текущее время: вт ноя #d 09:20:28 MSK 2025 
 |