Начало » Санкт-Петербург » Северные районы СПб » Старые фотографии Озерков
| Re: А все-таки прав был я [сообщение #153232 является ответом на сообщение #153231] |
пн, 27 мая 2013 22:07   |
|
|
| Шуруп писал(а) пн, 27 мая 2013 22:00 | Ну, дык, и здесь асфальт виден...
| Это просто обочина блестит на солнце. Сама проезжая часть не видна - как и нижняя часть столба с южной стороны дороги (левее Вашей стрелки).
|
|
|
|
|
|
| Re: А все-таки прав был я [сообщение #153271 является ответом на сообщение #153238] |
вт, 28 мая 2013 16:41   |
|
|
| Шуруп писал(а) пн, 27 мая 2013 23:20 | ...Так не проверить. Нужен точный альтиметр.
| Точнее, чем на схеме Александра Олеговича все равно не измерим. Ровно метр, с точностью до см. (если не произошло изменений и если выходное отверстие трубы в Нижнее озеро не под водой). Еще бы узнать разницу уровней Верхнего и Среднего - она, похоже, меньше.
|
|
|
|
|
|
| Re: А все-таки прав был я [сообщение #153297 является ответом на сообщение #153284] |
ср, 29 мая 2013 08:59   |
|
|
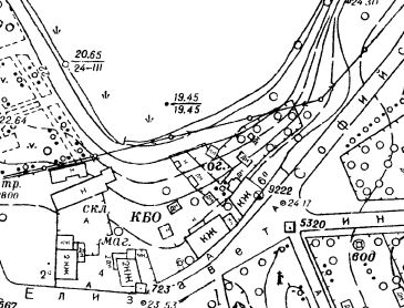
| alexsvar писал(а) ср, 29 мая 2013 00:11 | Вот вам уровни. До войны и современные...
| Спасибо большое!
Только как интерпретировать эти схемы? Что означают числители и знаменатели дробей около отметок уреза воды? Это ведь не верхний и нижний уровень воды?
Я так понял из схем, что сейчас уровень Нижнего озера 20.65 , Среднего - 22.40 и Верхнего - 23.38, но, конечно, это на уровне догадок. Кто разбирается в геодезии и топографии, помогите пожалуйста! Каковы сейчас реальные уровни озер (в цифрах)?
[Обновления: ср, 29 мая 2013 09:20] Известить модератора
|
|
|
|
| Re: А все-таки прав был я [сообщение #153299 является ответом на сообщение #153297] |
ср, 29 мая 2013 09:42   |
|
|
| Vand писал(а) ср, 29 мая 2013 08:59 |
| alexsvar писал(а) ср, 29 мая 2013 00:11 | Вот вам уровни. До войны и современные...
| Спасибо большое!
Только как интерпретировать эти схемы? Что означают числители и знаменатели дробей около отметок уреза воды? Это ведь не верхний и нижний уровень воды?
Я так понял из схем, что сейчас уровень Нижнего озера 20.65 , Среднего - 22.40 и Верхнего - 23.38, но, конечно, это на уровне догадок. Кто разбирается в геодезии и топографии, помогите пожалуйста! Каковы сейчас реальные уровни озер (в цифрах)?
|
Кружочек на линии границы воды - это "урез воды", т.е. уровень.
В числителе - уровень в метрах, в знаменателе - дата съемки. Топопланы дают естественно самые точные данные.
|
|
|
|
| Re: А все-таки прав был я [сообщение #153323 является ответом на сообщение #153299] |
ср, 29 мая 2013 15:11   |
|
|
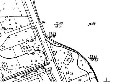
Т.е. уровни 20.65 22.40 23.38 - верные.
Интересно, почему такое расхождение со схемой Александра Олеговича. Собственно, уровень Нижнего оз. тот же самый (он и до войны был таким же, напрасно я хотел искать плотину в истоке р. Каменки). А вот уровень Среднего озера поднялся (по ср. со схемой Александра Олеговича) аж на 63 см. Ну а про продолжающийся подъем уровня в Верхнем оз. я уже писал ранее - вот по этой затопленной ныне дорожке я свободно проезжал еще лет 7 назад.

Возвращаясь к исходному вопросу - о происхождении странных каналов между озерами.

Я все-таки продолжаю считать, что их рыли (возможно, не дорыли) для прохождения прогулочных лодок или даже для парового катера https://www.forum.aroundspb.ru/index.php?t=msg&th=8314&am p;am p;goto=79707 - иначе зачем было их делать такими широкими? Как видим, до войны разница уровней озер была существенно меньше, чем сейчас (а до революции, наверное, еще меньше), и выравнивание уровней при соединении озер каналами не привело бы к существенным их изменениям.
-
Вложение: ozz.jpg
(Размер: 69.65KB, Загружено 3579 раз)
-
Вложение: ozzz.jpg
(Размер: 30.31KB, Загружено 3630 раз)
[Обновления: ср, 29 мая 2013 15:11] Известить модератора
|
|
|
|
|
|
| Re: А все-таки прав был я [сообщение #153339 является ответом на сообщение #153323] |
ср, 29 мая 2013 21:13   |
|
|
| Vand писал(а) ср, 29 мая 2013 15:11 | Т.е. уровни 20.65 22.40 23.38 - верные.
|
Ну, как сказать... Всё зависит от того когда снимали. Вот ишо данные:

| Vand писал(а) ср, 29 мая 2013 15:11 | Ну а про продолжающийся подъем уровня в Верхнем оз. я уже писал ранее - вот по этой затопленной ныне дорожке я свободно проезжал еще лет 7 назад.

|
Я тоже обратил внимание на это место, что там весь берег теперь затоплен и приходится обходить. Причину этого понять можно - потому что слив из Верхнего в Среднее или засрался (скорее всего) или намеренно закрыт. Потому как из приходящей в Среднее озеро трубы течёт крохотный ручеёк.
| Vand писал(а) ср, 29 мая 2013 15:11 |
Возвращаясь к исходному вопросу - о происхождении странных каналов между озерами.
Я все-таки продолжаю считать, что их рыли (возможно, не дорыли) для прохождения прогулочных лодок или даже для парового катера - иначе зачем было их делать такими широкими? Как видим, до войны разница уровней озер была существенно меньше, чем сейчас (а до революции, наверное, еще меньше), и выравнивание уровней при соединении озер каналами не привело бы к существенным их изменениям.
|
1933 год. Никаких сливных труб. Все каналы в полный рост. Уровень воды в озёрах одинаков. Среднее озеро имеет другую форму. А паровой катер вряд ли из озера в озеро ходил - дымовая труба под мостами не пройдёт. Лодки пройдут.

|
|
|
|
|
|
| Re: А все-таки прав был я [сообщение #153366 является ответом на сообщение #153362] |
чт, 30 мая 2013 01:24   |
|
|
| Vand писал(а) чт, 30 мая 2013 00:35 | По-моему, карта 33 года составлена несколько халтурно - там даже не указан проезд между Верхним и Средним озерами, а на ранних картах он был Да и форма Среднего озера какая-то странная - уровень был ниже, чем сейчас, а есть непонятный залив на юг, которого сейчас нет.
|
Да нет, всё правильно нарисовано. Где то в 30-х и сделали проезд между озерами. Засыпали южный берег Среднего озера и появилась сквозная дорога. Это даже на современной карте видно. Онежский проезд непосредственно переходит в Эриванскую улицу.
http://maps.yandex.ru/-/CVV7R8iN
|
|
|
|
| Re: Старые фотографии Озерков [сообщение #153512 является ответом на сообщение #81167] |
вс, 02 июня 2013 01:46   |
|
|
Помните, у Александра Блока (как раз про Озерки)
И каждый вечер, за шлагбаумами,
Заламывая котелки,
Среди канав гуляют с дамами
Испытанные остряки.
А что это за шлагбаумы? Если на ж-д переезде - то понятно. Но о них ли писал Блок? Не могли ли быть "местные" шлагбаумы на озерковских улицах?
Недавно хотел проехать на велосипеде со Староорловской ул. к Выборгскому шоссе, через новый жилой микрорайон - Новая Скандинавия. Оказывается - низя! И как раз шлагбаум. Этак скоро в Выборгский район будут пускать только местных, и в Калининский - только месных и т.д. Ну или по письменному приглашению.
Но во времена Блока общество тоже было стратифицированным, могли быть и шлагбаумы, в Озерках тоже. Все-таки интересно.
|
|
|
|
| Re: Старые фотографии Озерков [сообщение #153513 является ответом на сообщение #153512] |
вс, 02 июня 2013 02:08   |
|
|
| Vand писал(а) вс, 02 июня 2013 01:46 | Помните, у Александра Блока (как раз про Озерки)
И каждый вечер, за шлагбаумами,
Заламывая котелки,
Среди канав гуляют с дамами
Испытанные остряки.
А что это за шлагбаумы? Если на ж-д переезде - то понятно. Но о них ли писал Блок? Не могли ли быть "местные" шлагбаумы на озерковских улицах?
|
Еще совсем недавно был шлагбаум на Эриванской улице. http://gudodd.ru/index.php?option=com_content&task=view& amp;id=173&Itemid=30 Здоровенный, мощный красного цвета. Вот остаток на фото. http://maps.yandex.ru/-/CVVGEO2X В этом году по-моему бетонных оснований уже нет, убрали. Как и водопроводную колонку рядом. Возможно, это т.с. старое историческое шлагбаумное место.
| Vand писал(а) вс, 02 июня 2013 01:46 |
Недавно хотел проехать на велосипеде со Староорловской ул. к Выборгскому шоссе, через новый жилой микрорайон - Новая Скандинавия. Оказывается - низя! И как раз шлагбаум.
|
Местность где Новая Скандинавия уже как несколько лет закрыта.
|
|
|
|
| Re: Старые фотографии Озерков [сообщение #153590 является ответом на сообщение #81167] |
вт, 04 июня 2013 10:31   |
|
|
Если фотки уже были (трасса мотокросса уже обсуждалась в этой ветке https://www.forum.aroundspb.ru/index.php?t=msg&th=8482&am p;goto=111759#msg_111759) - пардон.
Помню, в детстве приходилось смотреть на мотокросс вот с этого гребня Поклонной горы (датированы 1973 годом)

Вот про этот дом тоже здесь говорили https://www.forum.aroundspb.ru/index.php?t=getfile&id=197 02&rid=4456&S=195c3c0084df6cb1d7c37fc40c57354a , правда, видно плохо

Вот еще несколько домов, первый из них. похоже, со стороны баптистской церкви, но не уверен.



Есть такие же фотки с этого места, но там чисто спорт.
-
Вложение: oz00.jpg
(Размер: 107.59KB, Загружено 3268 раз)
-
Вложение: oz01.jpg
(Размер: 111.99KB, Загружено 4203 раза)
-
Вложение: oz02.jpg
(Размер: 159.69KB, Загружено 3262 раза)
-
Вложение: oz03.jpg
(Размер: 62.13KB, Загружено 3254 раза)
-
Вложение: oz04.jpg
(Размер: 105.76KB, Загружено 3319 раз)
[Обновления: вт, 04 июня 2013 10:35] Известить модератора
|
|
|
|
|
|
|
|
|
|
|
|
|
|
|
|
Переход к форуму:
Текущее время: чт янв #d 17:11:38 MSK 2026
|