|
|
|
|
| Re: о площади Мужества [сообщение #126655 является ответом на сообщение #126497] |
ср, 22 февраля 2012 23:33   |
|
|
|
Еще может быть фундамент стройбатовского барака, он ближе к метро. А остальное фундаменты деревянных одно и двухэтажных домов деревни Большая Кушелевка. Трасса, я теперь понял, улицы Прибытковской проходила метрах в 20 севернее гостиницы Орбита.
|
|
|
|
| Re: о площади Мужества [сообщение #126656 является ответом на сообщение #126505] |
ср, 22 февраля 2012 23:40   |
|
|
Просмотрел топопланы Треста ГРИИ (ситуация на нояб.1974 г.)от Политехнической до Бутлерова. На тот момент ещё оставались кое-какие деревянные сооружения и даже остатки то ли Бол.Спасской то ли Прибытковской улиц.


-
Вложение: 9н.JPG
(Размер: 131.16KB, Загружено 3109 раз)
-
Вложение: 10нл.JPG
(Размер: 143.42KB, Загружено 2934 раза)
-
Вложение: 10нп.JPG
(Размер: 139.64KB, Загружено 2973 раза)
|
|
|
|
| Re: о площади Мужества [сообщение #126658 является ответом на сообщение #126484] |
ср, 22 февраля 2012 23:53   |
|
|
План по памяти нарисовать я сумею вряд ли. Рассматривал я на Гжатской всего один колодец - он у второго дома - метрах в 15 от нынешней трассы улицы, остальные помню плохо. На месте гостницы Орбита, в ее дворе и на месте 16 этажного дома было много деревянных домов. Двухэтажных и одноэтажных. Одноэтажные, я помню, были с садами и огородами. Очень много было сараев - их было не объехать и не обойти. По трассе Б. Спасской после дома на имеющейся здесь фото в стиле модерн с обувным магазином, был двухэтажный дом - его едва сумели сломать - похоже 18 век. Далее, я запомнил, очень длинный деревянно - каменный дом в один полуподвальный этаж. В нем была булочная. На углу Гражданского и Непокоренных со стороны Гжатской был весьма симпатичный двухэтажный каменный дом. Оштукатуренный, красно-белого цвета, углом, в нем была больница. Рядом в церкви работали больные из этой больницы - там стояли станки. Эту больницу
можно было видеть еще в 1980 ом. Почему его сломали я не понял уже тогда.
|
|
|
|
|
|
| Re: о площади Мужества [сообщение #126677 является ответом на сообщение #126484] |
чт, 23 февраля 2012 10:03   |
|
|
|
Сохранившийся весьма ценный дом можно видеть на территории Красного октября, у забора, рядом с остановкой Непокоренных, 6, это здание приюта принца Ольденбургского. (Краснокирпичный дом со сводчатыми окнами)
|
|
|
|
|
|
|
|
| Re: о площади Мужества [сообщение #126687 является ответом на сообщение #126656] |
чт, 23 февраля 2012 13:23   |
|
|
Ну вот, Евгений (Antti) столько лет ждал ответа на вопрос об остатках фундамента во дворе военного общежития, а Александр Олегович выдерживал многозначительную паузу ( . Теперь всё разъяснилось. На верхнем снимке Александр Олегович обвёл красным тот самый дом, остатки фундамента которого и волновали умы краеведов). Только я не могу прочесть, разрешение снимка плохое, что там на доме написано (кирпич или дерево, сколько этажей). Александр Олегович, пожалуйста, завершающим аккордом: Что там написано?
|
|
|
|
| Re: о площади Мужества [сообщение #126689 является ответом на сообщение #126687] |
чт, 23 февраля 2012 13:48   |
|
|

Это в сквере где теперь 16 этажный дом. Слева можно видеть часть типичного для Прибытковской двухэтажного деревянного дома - они на этой улице были обшиты досками. На Гжатской дома были бревенчатые ничем необшитые. В самом начале нынешней улицы Хлопина на месте предприятия питания тоже был бревенчатый двухэтажный дом.
-
Вложение: 88ч276.jpg
(Размер: 137.02KB, Загружено 3174 раза)
|
|
|
|
| Re: о площади Мужества [сообщение #126690 является ответом на сообщение #126689] |
чт, 23 февраля 2012 13:55   |
|
|

Снимок сделан в 1965-1966 гг. На переднем плане начало тротуара Хлопина 7-1, который теперь посередине проезжей части. Вдали видна полоса гаражей и новый дом агрофизического института, который теперь отдан под жилье и сильно перестроен.
-
Вложение: 88ч277.jpg
(Размер: 99.61KB, Загружено 3098 раз)
|
|
|
|
| Re: о площади Мужества [сообщение #126691 является ответом на сообщение #126689] |
чт, 23 февраля 2012 14:35   |
|
|
| Parkend1 писал(а) чт, 23 февраля 2012 13:48 |

Это в сквере где теперь 16 этажный дом. Слева можно видеть часть типичного для Прибытковской двухэтажного деревянного дома - они на этой улице были обшиты досками. На Гжатской дома были бревенчатые ничем необшитые. В самом начале нынешней улицы Хлопина на месте предприятия питания тоже был бревенчатый двухэтажный дом.
|
Снимок в направлении Б. Спасской.
|
|
|
|
| Re: о площади Мужества [сообщение #126692 является ответом на сообщение #126690] |
чт, 23 февраля 2012 14:40   |
|
|
| Parkend1 писал(а) чт, 23 февраля 2012 13:55 |

Снимок сделан в 1965-1966 гг. На переднем плане начало тротуара Хлопина 7-1, который теперь посередине проезжей части. Вдали видна полоса гаражей и новый дом агрофизического института, который теперь отдан под жилье и сильно перестроен.
|
Видны крыши двухэтажных деревянных домов на Гжатской, о которых я уже говорил не раз.
|
|
|
|
|
|
|
|
|
|
| Re: о площади Мужества [сообщение #126713 является ответом на сообщение #126703] |
чт, 23 февраля 2012 19:29   |
|
|
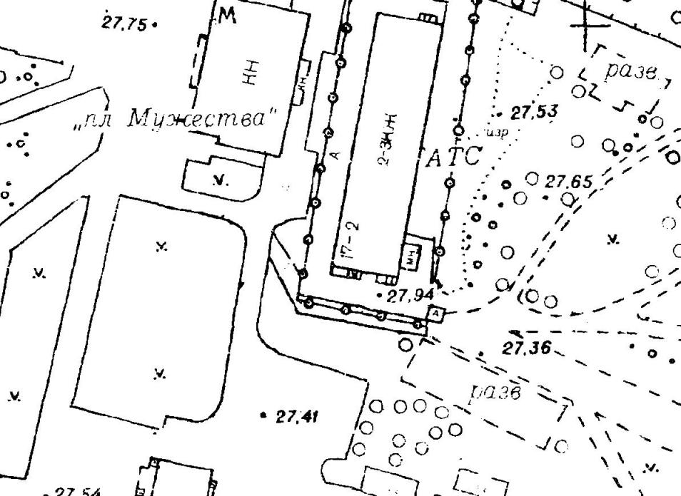
Чуть крупнее выкладываю фрагмент плана с 1-этажным дер.домом (надпись - ДЖ на плане) за гостиницей. При большом желании прочитать эту надпись на плане всё же можно. Номер дома в углу 6-3 (по пр.Непокорённых скорее всего).

Ещё раз посмотрел планы. Обнаружилось, что на плане (примерно 1992 г.) есть развалин неких сооружений за АТС, которые вообще отсутствуют на плане 1974 г.

Также среди общаг ЛПИ сохранились два 1-этажных дер.дома.
А что за прямоугольник с букой Д (???) в левом нижнем углу фрагмента не знаю.
-
Вложение: 9н--.JPG
(Размер: 55.10KB, Загружено 4256 раз)
-
Вложение: Безымянный-.JPG
(Размер: 97.13KB, Загружено 2867 раз)
-
Вложение: 9н----.JPG
(Размер: 98.28KB, Загружено 2987 раз)
|
|
|
|
|
|
|
|