Начало » Санкт-Петербург » Северные районы СПб » Карл и Эмилия
| Re: Карл и Эмилия [сообщение #115734 является ответом на сообщение #115728] |
сб, 14 мая 2011 21:01   |
|
|
| Евген. писал(а) сб, 14 мая 2011 20:18 | Вот прочитал в журнале "бизнес сегодня" за март 2011 года , на 20,21 и 22 стр одна из версий . Написано: похоронили в лесу на месте гибели , со временем протоптали дорожку ставшую впоследствии улицей КиЭ.
Не знаю нарушаю или нет правила форума , если нарушаю уважаемый модератор пусть удалит , извиняюсь заранее .Просто по теме есть кое какие детали , вроде не читали.
|
На какой первоисточник ссылается "Бизнес сегодня" ( или вчера, если за март)?
Версия несколько отличается от устоявшейся в краеведческой литературе и имеющую газетные подтверждения того времени.
Правда, не совпадает имя инициатора кровавой драмы.
КиЭ улица на севере, а К. и Э. из немецкой колонии Гражданка, казалось бы тропа должна быть с восточной стороны?
|
|
|
|
| Re: Карл и Эмилия [сообщение #115743 является ответом на сообщение #115715] |
вс, 15 мая 2011 01:20   |
|
|
| Евген. писал(а) сб, 14 мая 2011 11:46 | И ещё позволю себе отметить тот факт, что привязка современных карт к местности далеко не всегда соответствует действительности, а о старых картах говорить не приходится . Поэтому как мне кажется методы наложения современных карт и спутниковых снимков на старые карты или совмещения , как будет угодно истинное место захоронения не укажут.
|
Точка могилы указана на старых картах, последняя из которых датируется 1925-м годом. Плюс к этому есть архивные источники, приведенные на форуме, где подтверждается местоположение могилы-памятника, указанное на карте.
Что касается того, что местность, показанная на картах, "не всегда соответствует действительности". Смотря какой картографический материал. Если это подоснова С-Пб в подробном масштабе (1:2000, 1:500), то ситуация на таких планшетах показана подробно и точно, за исключением некоторых мелочей. Поэтому, современное местоположение точки пересечения бывших Политехнической, Раевского, Бенуа, Костромской (точку могилы) можно вычислить как раз таки наложением планшетов, современного на архивный, используя совмещение по координатам и совмещение контуров сохранившихся зданий. Что и было сделано ранее. Хотелось бы, конечно, проделать подобное с планшетом 1932г.
[Обновления: вс, 15 мая 2011 01:24] Известить модератора
|
|
|
|
| Re: Карл и Эмилия [сообщение #115749 является ответом на сообщение #115743] |
вс, 15 мая 2011 09:55   |
|
|
|
С таким подходом нет повода сомневаться в выводах уважаемых участников форума . К которым я отношусь с большим уважением и доверием , чем к современной прессе искажающей действительность в погоне за сенсацией. Спасибо Вам за проделанную работу и разъяснения.
|
|
|
|
| Re: Карл и Эмилия [сообщение #116478 является ответом на сообщение #115605] |
вт, 31 мая 2011 12:56   |
|
|
| Александр Олегович-1 писал(а) чт, 12 мая 2011 21:28 | Удалось получить топоплан Треста ГРИИ с подземкой в масштабе 1:500.
Умеряю свой восторг по поводу предполагаемого места захоронения (МЗ) КиЭ.
Предполагаемое МЗ отметил красн.крестиком, лиственница - в оранж.овале.
Крестик (МЗ) ориентировочно попадает между рябиной и колодцем канализации. При прокладке канализации и установке колодца откапывалась траншея глубиной не менее 1.8 метра и шириной порядка 2 - 2.5 метров. При этом могли быть(теоретически) обнаружены останки и могли быть вывезены в неизвестном направлении или просто брошены в любом месте в качестве мусора.
Все эти умозрительные предположения относятся к красному крестику.
Как писал raevsku "две хреновенки из меди" могли там "обнаружить" любые подз.коммуникации. Наши "тётки" (монтёры по надзору) такие же "хреновенки" иногда используют для поиска (и даже из алюминия). Тем более рядом проходят и другие подз.коммуникации, а именно: телефон и газ низк.давления. Нормативная глубина заложения - газа -1.2 м; телефона - 0,7 м. Так что в земле может быть всё, что угодно, хоть бет.плиты с вмурованной арматурой, которые могли быть закопаны после строительста здания НИИ. И при строительстве рылся котлован под фундамент, т.е. при строительстве велись большие земляные работы.
Итого: слишком большие сомнения, что что-то там осталось.
|
Изучил всю немалую работу которую проводили уважаемые форумчане по этому вопросу-восхищен настойчивостью в установлении истины.
А еще более заинтересован фактическим завершением этой краеведческо-детективной истрии.
Присоеденюсь в вышеизложенному мнению, о том что останки, находись они в непосредственной близости с НИИ, навряд ли могли уцелеть.
Котлован под здание копается с откосом(35-45%), комуникации(газ, вода) в те годы прокладывались открытым способом(траншея тоже с откосом)глубина трашеи 1,5-1,8м, работы по благоустройству(асфальт) велись с подготовкой основания(а это 60-80см выборки грунта...Канализация безнапорная вообще на 2.0 скорее всего,плюс подготовка итого 2,2-2,5, а колодцы еще глубже..
В общем..перекопано там было все, на 80% и в глубину от 1,5 до 3-3,5м...
Возник вопрос о возрасте лиственицы...в сквере перед д.37-1 по Лесному пр.- лиственицы гораздо крупнее...высажены в 34-39г при благоустройстве сквера...
[Обновления: вт, 31 мая 2011 12:56] Известить модератора
|
|
|
|
| Re: Карл и Эмилия [сообщение #121013 является ответом на сообщение #115202] |
вт, 25 октября 2011 17:10   |
|
|
Фотографии, которые я размещаю, отношения к делу не имеют. Более того, они, может быть, не интересны с любой точки зрения. (Модератор может переместить или вообще удалить их.) Но поскольку никаких фотографий окрест могилы К. и Э. здесь нет, я решился поместить эти. В мае я писал о родственниках, живших в доме, который стоял в западной части (наиболее удалённой от Тихорецкого) трамвайного кольца. Так вот этот дом является фоном на фотографии моей бабушки. На второй, мой прадед стоит у палисадника справа от этого дома. Фотографии конца 40-х годов.
-
Вложение: img007.jpg
(Размер: 140.75KB, Загружено 1383 раза)
-
Вложение: img008.jpg
(Размер: 102.29KB, Загружено 1402 раза)
|
|
|
|
| Re: Карл и Эмилия [сообщение #121223 является ответом на сообщение #121013] |
сб, 29 октября 2011 23:40   |
|
|
| Basilio писал(а) вт, 25 октября 2011 17:10 | В мае я писал о родственниках, живших в доме, который стоял в западной части (наиболее удалённой от Тихорецкого) трамвайного кольца. Так вот этот дом является фоном на фотографии моей бабушки. На второй, мой прадед стоит у палисадника справа от этого дома. Фотографии конца 40-х годов.
|
А это случаем не кирпичный красный дом у м. Политехническая (первое фото), который сейчас огибает трасса Тихорецкого - Политехнической ул.? Дом, стоящий на месте нынешнего института Цитологии на моей памяти был желтого цвета (оштукатурен).
И есть предположение, что речь идет о старом трамвайном кольце у Политехнического института, а не на Тихорецком пр???
А Вы не могли бы показать все-таки этот дом на старой карте, с первого фото?
|
|
|
|
|
|
|
|
| Re: Карл и Эмилия [сообщение #121233 является ответом на сообщение #121223] |
вс, 30 октября 2011 14:57   |
|
|
Со стопроцентной уверенностью повторяю, что дом стоял на месте трамвайного кольца на Тихорецком проспекте. В точке наибольшего удаления от его проезжей части. Это по воспоминаниям родственников "на месте". А вот с ориентацией на АФС или на плане дело обстоит хуже. На АФС при увеличении всё расплывается (вот получше бы разрешение. Как его добыть?) Да и качество сканирования плана не для старых глаз. Трудночитаемо( Но я уверен в успехе, если коллеги посодействуют с материалом в наилучшем качестве
|
|
|
|
| Re: Карл и Эмилия [сообщение #121235 является ответом на сообщение #121233] |
вс, 30 октября 2011 16:35   |
|
|
| Basilio писал(а) вс, 30 октября 2011 13:57 | Со стопроцентной уверенностью повторяю, что дом стоял на месте трамвайного кольца на Тихорецком проспекте.
|
Если это кирпичное здание с фото 1, то на место нынешнего трамвайного кольца попадает только один дом, тот, что я обвел красной линией - двухэтажный кирпичный. На его месте сейчас служебная будка трамвайщиков-троллейбусников.
|
|
|
|
| Re: Карл и Эмилия [сообщение #121237 является ответом на сообщение #121235] |
вс, 30 октября 2011 17:23   |
|
|
Двухэтажное блочное белое здание с какой-то картинкой. Это и есть трамвайная будка? Если речь о нём, значит всё точно! Хотя, всё равно прошу, если есть, прислать лучший скан плана этих мест. И ещё мне непонятны многие обозначения на плане, где обведён красным прямоугольником искомый дом. 2КЖ, видимо, двухэтажный кирпичный жилой. Но прокомментируйте, пожалуйста, что ещё можно сказать об этом доме, глядя на план. Например, куда выходит парадная? Это маленький квадратик в торце дома?
[Обновления: вс, 30 октября 2011 17:27] Известить модератора
|
|
|
|
| Re: Карл и Эмилия [сообщение #121238 является ответом на сообщение #121237] |
вс, 30 октября 2011 19:08   |
|
|
| Basilio писал(а) вс, 30 октября 2011 16:23 | Двухэтажное блочное белое здание с какой-то картинкой. Это и есть трамвайная будка?
|
Нет, одноэтажное кирпично-стеклянное, напротив проходной в институт Цитологии. На снимке ниже, слева.

| Basilio писал(а) вс, 30 октября 2011 16:23 | 2КЖ, видимо, двухэтажный кирпичный жилой.
|
Да, именно так.
| Basilio писал(а) вс, 30 октября 2011 16:23 | Но прокомментируйте, пожалуйста, что ещё можно сказать об этом доме, глядя на план. Например, куда выходит парадная? Это маленький квадратик в торце дома?
|
Что подъезд, это маленький квадратик - не факт. Например, у второго кирпичного дома, расположенного южнее, тоже показан квадратик в торце дома. А на моей памяти подъезд располагался со стороны здания, обращенной на восток. Конечно, все могло меняться.
-
Вложение: DSC00819.JPG
(Размер: 72.82KB, Загружено 2270 раз)
|
|
|
|
|
|
| Re: Карл и Эмилия [сообщение #121261 является ответом на сообщение #121238] |
пн, 31 октября 2011 09:25   |
|
|
Меня ориентировали на близость с тем домом повыше, который за трамвайной будкой. Но раз на плане других кирпичных домов нет, значит речь идёт об одном и том же.
-
Вложение: Снимок.JPG
(Размер: 59.51KB, Загружено 2156 раз)
|
|
|
|
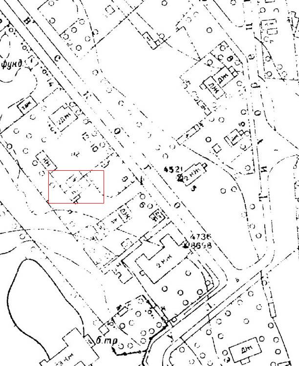
| Re: Карл и Эмилия [сообщение #121267 является ответом на сообщение #121261] |
пн, 31 октября 2011 11:18   |
|
|
|
Это здание института Цитологии, расположенного за территорией трамвайно-троллейбусного кольца. Наложением топопланов, современного на архивный 1957г., получается, что дом был на месте трамвайно-троллейбусной будки. См. здесь. Предполагаю, что адрес этого дома был по пр. Раевского.
|
|
|
|
| Re: Карл и Эмилия [сообщение #121281 является ответом на сообщение #121267] |
пн, 31 октября 2011 15:14   |
|
|
Совершенно точно адрес был по пр.Раевского. Назойливо ещё раз прошу прислать планшет 1946года (да и 57-го не помешает). А то здесь размещены очень маленькие фрагменты, затрудняющие ориентацию неопытному глазу. Я покажу его родственникам. И, надеюсь, разъяснится: тот 2КЖ, который на месте трамвайной будки или тот 2КЖ, который попал под институт цитологии.
[Обновления: пн, 31 октября 2011 15:33] Известить модератора
|
|
|
|
| Re: Карл и Эмилия [сообщение #121282 является ответом на сообщение #121281] |
пн, 31 октября 2011 15:36   |
|
|
| Basilio писал(а) пн, 31 октября 2011 14:14 | Назойливо ещё раз прошу прислать планшет 1946года (да и 57-го не помешает).
|
Это не ко мне, а к Александру Олеговичу-1 или alexsvarу.
|
|
|
|
| Re: Карл и Эмилия [сообщение #121327 является ответом на сообщение #89645] |
ср, 02 ноября 2011 09:13   |
|
|
Вот еще одно кирпичное здание на плане ниже. Но оно находится вне территории трамвайно-троллейбусного кольца. Сейчас на его месте Институт цитологии. Постарался увеличить картинку, насколько возможно.
-
Вложение: sshot-1.jpg
(Размер: 133.64KB, Загружено 2092 раза)
|
|
|
|
| Re: Карл и Эмилия [сообщение #121330 является ответом на сообщение #121327] |
ср, 02 ноября 2011 09:46   |
|
|
|
Вот так номер! Уж очень отличается этот план от предыдущего, размещённого Вами. Мало того, что на том плане нет этого кирпичного дома, так и на этом плане самый большой дом внизу обозначен буквой Д, а на предыдущем плане 2КЖ. А года выпуска планов известны?
|
|
|
|
| Re: Карл и Эмилия [сообщение #121350 является ответом на сообщение #121330] |
ср, 02 ноября 2011 17:45   |
|
|
| Basilio писал(а) ср, 02 ноября 2011 08:46 | Вот так номер! Уж очень отличается этот план от предыдущего, размещённого Вами. Мало того, что на том плане нет этого кирпичного дома, так и на этом плане самый большой дом внизу обозначен буквой Д, а на предыдущем плане 2КЖ. А года выпуска планов известны?
|
План выше - 1946г. И на обоих планах все обсуждаемые дома присутствуют. Различие в материалах, из которых построен большой дом, и все. Ниже - фрагмент плана 1957г. для сравнения.
Возвращаясь к теме. Интересно, что Ваши родственники, проживая в доме, расположенном вблизи точки расположения памятника Карла-Эмилии, ничего не слышали об обсуждаемой истории. К сожалению, это характерно для воспоминаний тех, кто жил в этих краях в послевоенные годы.
-
Вложение: sshot-2.jpg
(Размер: 115.47KB, Загружено 2055 раз)
|
|
|
|
Переход к форуму:
Текущее время: пн мар #d 20:47:11 MSK 2026
|